Honduras

¿Cuál es el significado de 'Iota'?, el nombre del peligroso huracán que amenaza a Honduras  

Lo primero que debes saber es que no se trata de una palabra si no del nombre de una letra del alfabeto griego

16.11.2020

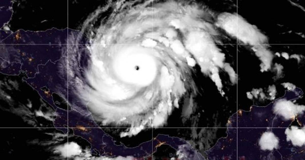
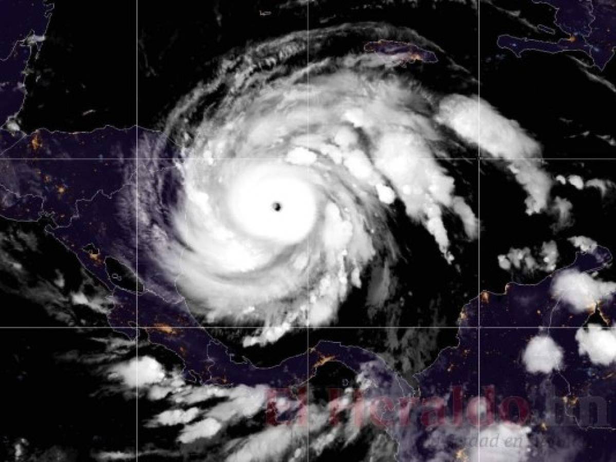
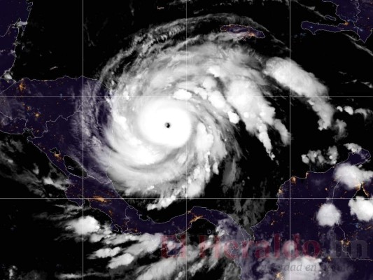
TEGUCIGALPA, HONDURAS.- Iota sin duda es la palabra más mencionada en la actual emergencia, sobre todo por el inminente peligro que representa para nuestro país.

Pero, ¿qué significa Iota?

Lo primero que debes saber es que no se trata de una palabra si no del nombre de una letra del alfabeto griego. Ocupa la novena posición en el alfabeto de 24 que lo componen, y es específicamente la cuarta vocal de las siete del abecedario. Su escritura en mayúscula es Ι y en minúscula es ι.

LEA: Iota se convierte en huracán de categoría 5; la clasificación más peligrosa

Según la Real Academia Española, 'Iota' es un palabra en español que representa en griego a la 'I' latina, novena letra del abecedario griego. Además, la palabra iota es usada en inglés y en francés para expresar pequeñas cantidades.

Se utiliza porque tanto la geometría como otras ramas de las matemáticas no es suficiente con los caracteres que tenemos en el alfabeto latino.

La palabra Iota también es usada como nombre de una criptomoneda y un protocolo de tecnología contabilidad distribuida de código abierto.

Foto: El Heraldo

Alfabeto griego en mayúscula y en minúscula, con su respectivo sonido en español.

¿Cómo se nombran a los huracanes?

A principios del siglo XX, los huracanes que golpeaban al Caribe, recibían el nombre del santo patrón, según el día de impacto, en la actualidad existe el sistema de nombre inventado por el meteorólogo australiano Clement Lindley Wragge el cual usó las letras del alfabeto para bautizar a los huracanes.

VEA: Huracán Iota impactará el martes al territorio nacional

En la década de 1950, el Servicio de Meteorología de EEUU, NWS, empezó a enlistar nombres para utilizarlos a nivel global, menos, nombres de mujeres.

No fue hasta 1979 que se utilizaron nombres masculinos y femeninos para un fenómeno ciclónico, siempre manteniendo el orden alfabético de 21 letras excluyendo a la Q, U, X, Y, Z.

Cuando la temporada de huracanes traspase los 21 nombres asignados sobre el abecedario en español, se usará el abecedario en griego. Tal como ocurrió en 2005 y este 2020.

Tags: