Honduras

Iota se fortalece a un poderoso huracán de categoría 4; podría incrementar

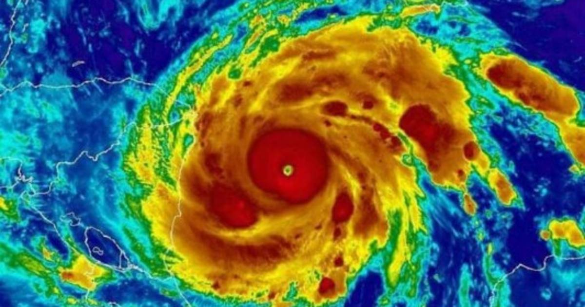
En cuestión de horas, Iota pasó de ser un huracán de categoría 2 a una temible categoría 4, la cual según los expertos, podría seguir incrementando

16.11.2020

TEGUCIGALPA, HONDURAS.- El potente fenómeno natural que amenaza con llegar a Honduras y Nicaragua en las próximas horas ha evolucionado de forma muy rápida, pasando de un huracán de categoría 2 a 3 y posteriormente, a 4.

Así lo confirmaron el Centro Nacional de Huracanes (NHC por sus siglas en inglés) y el Centro de Estudios Meteorológicos Oceanográficos y Sísmicos (Cenaos) en sus últimos monitoreos realizados la madrugada de este lunes.

VEA TAMBIÉN: Iota traerá vientos potencialmente catastróficos: Centro Nacional de Huracanes

El informe de la Comisión Permanente de Contingencias (Copeco) detalló que el fenómeno natural se encuentra ubicado a unos 275 kilómetros al este-sureste del Cabo de Gracias a Dios y mantiene vientos sostenidos de 230 Km/h con ráfagas más altas y se desplaza generalmente hacia el oeste con dirección a la costa Caribe de Nicaragua a un promedio de 17 Km/h

Además, el pronóstico sigue siendo alarmante, pues se prevé que Iota 'continúe su fortalecimiento en las próximas 12 a 18 horas antes de tocar tierra en la costa noreste de Nicaragua, en las vecindades de Puerto Cabezas la noche de este día y podría alcanzar la categoría 5 en la escala de Saffir-Simpson', según continuaron informando las autoridades.

El pronosticador de turno de Cenaos, Carlos Canales, también dio a conocer que se espera que Iota llegue a territorio nacional antes de lo previsto, debido a su rápido desplazamiento por el Caribe.

VEA TAMBIÉN: Autoridades piden evacuar zonas del centro y sur del país por cambio de ruta de Iota

Alerta roja

Actualmente toda Honduras permanece bajo alerta roja de forma indefinida, previo al impacto del huracán este martes 17 de noviembre.

Las autoridades han llamado a los pobladores de al menos 10 de los 18 departamentos a evacuar zonas de alto riesgo y buscar refugio en los más de 300 albergues habilitados en todo el país.

También advierten que a partir de este día las bandas de circulación asociadas al ciclón tropical estarán produciendo lluvias y chubascos intermitentes de intensidad variada en gran parte del litoral Caribe, Islas de la Bahía, norte de Olancho y sectores del departamento de Yoro. Los acumulados más importantes se esperan en Gracias a Dios y Colón.

LE PUEDE INTERESAR: EN VIVO: Así avanza el huracán Iota, que amenaza a Honduras