Mundo

Rescatistas salvadoreños en Guatemala y Honduras regresarán al país antes del impacto de Iota

El mandatario salvadoreño dijo que tras el impacto de Iota en las naciones hermanas, los cuerpos de rescate volverán a colaborar con los países más afectados

16.11.2020

SAN SALVADOR, EL SALVADOR.- Un equipo de más de 200 rescatistas que permanecía en Guatemala y Honduras tras la devastación provocada por la depresión tropical Eta en ambas naciones centroamericanas, deberá regresar a su país para prepararse ante el inminente impacto del huracán Iota.

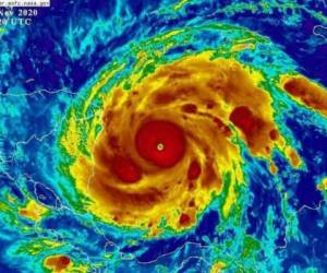
Luego de un acto de solidaridad y hermandad que fue aplaudido por los miles de daminificados en los países afectados por el primer fenómeno natural, ahora los salvadoreños también se enfrentan al riesgo de ser alcanzados por el potente ciclón que se formó tan solo días después y que actualmente ya alcanzó una temible categoría 4.

VEA: Centroamérica se prepara para la arremetida de Iota

El presidente de El Salvador, Nayib Bukele, dijo en sus redes sociales que 'nuestros equipos humanitarios y de rescatistas ya están regresando a El Salvador, a preparase para el ahora huracán Iota. Pero regresaremos...cuando está nueva amenaza pase, debemos estar listos para ayudarnos todos, como hermanos'.

Actualmente, Iota se ubica a 275 kilómetros al este-sureste del departamento hondureño de Gracias a Dios, y la costa Caribe de Nicaragua, pero según su trayectoria, podría afectar a El Salvador en los próximos días.

ADEMÁS: Japón entrega ayuda humanitaria de emergencia a Honduras

Eterno agradecimiento

Tras conocer la noticia de que los cuerpos de rescate debían regresar a su tierra natal, los guatemaltecos y hondureños desbordaron las redes sociales con mensajes de agradecimiento hacia quienes dijeron presente con 30,000 raciones de alimentos en cada país, con maquinaria y equipos especializados en trabajos de auxilio a los damnificados tras los estragos de Eta.

LE PUEDE INTERESAR: VIDEOS: Honduras festeja llegada de ayuda humanitaria de El Salvador