Honduras

Huracán Eta ya es categoría 4 y avanza con vientos de 212 km/h

El fenómeno ya provocó inundaciones en el Caribe hondureño. Las autoridades realizan evacuaciones en las zonas más vulnerables

02.11.2020

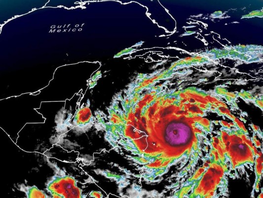
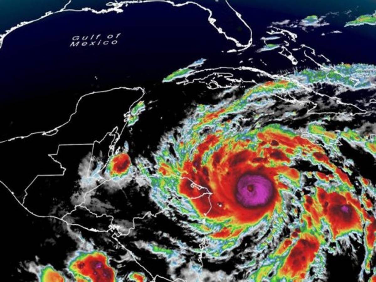
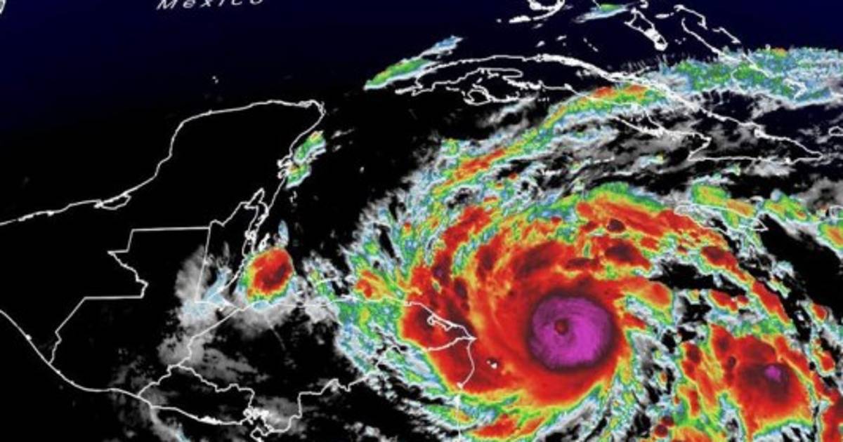
TEGUCIGALPA, HONDURAS. El huracán Eta, que tiene vientos de 212 kilómetros por hora, ya alcanzó categoría 4 en la escala Saffir-Simpson.

Autoridades de la Comisión Permanente de Contingencias (Copeco) confirmaron que se ubica 120 kilómetros al sureste del Cabo de Gracias a Dios y se desplaza una velocidad de 15 kilómetros por hora. El Centro Nacional de Huracanes de Estados Unidos (NCH, por sus siglas en inglés) también coincide con los datos.

Eta, que podría dejar hasta 25 pulgadas de lluvia caída después de tocar tierra, es la 28a tormenta del Atlántico en 2020, igualando la cifra de 2005 en términos de la mayor cantidad de sistemas bautizados en un solo año. Se han formado tantos, que el centro de huracanes ya utilizó todos sus nombres oficiales y ahora ha recurrido a la designación de tormentas con letras griegas.

+Sigue la trayectoria del huracán Eta en vivo

Su centro se localizaba unos 225 km al noreste de Bilwi (también conocido como Puerto Cabezas), en el Caribe Norte de Nicaragua, según el NHC.

Se prevé que Eta, que se desplaza a 15 km/h, toque tierra la madrugada del martes unos 17 km al sur de Bilwi, principal ciudad del Caribe Norte.

null

null


En la zona de impacto ubicada entre Bilwi y Cabo Gracias a Dios, fronterizo con Honduras, viven más de 80,000 personas, según cálculos del gobierno de esa región nicaragüense.

Tanto Nicaragua como Honduras, los países con mayor riesgo, decretaron alerta roja ante la llegada del ciclón.

VEA: ¿Qué hacer y cómo actuar durante un huracán?

Esta es la trayectoria del huracán:

Alerta

Ante la amenaza que la llegada del huracán Eta representa para el territorio hondureño, las autoridades decidieron emitir alertas en los departamentos del país que se cree estarían sufriendo los primeros embates del fenómeno metereológico.

La Secretaría en los despachos de Gestión del Riesgo y Contingencias Nacionales (Copeco) determinó que Gracias a Dios, Atlántida, Colón, Islas de la Bahía, Yoro, Cortés y Olancho permanecerán bajo alerta roja durante un período de 48 horas a partir de las 12:00 del mediodía del lunes 2 de noviembre.

De igual manera, se decretó alerta amarilla en los departamentos de Santa Bárbara, Francisco Morazán, Comayagua, El Paraíso, Yoro y Cortés.

Por otra parte, Copán, Ocotepeque, Lempira, Intibucá, La Paz, Valle y Choluteca están bajo alerta verde debido a la cantidad de lluvia que cae sobre la zona occidental y sur.

ADEMÁS: Fuertes lluvias provocan inundaciones y daños en Honduras

Vientos, inundaciones, deslaves

El NHC advirtió que se esperan 'vientos catastróficos, inundaciones repentinas y deslizamientos de tierra en partes de Centroamérica'.

Eta ya provocó intensas lluvias el domingo en Costa Rica, donde la Comisión Nacional de Emergencias desplazó preventivamente a pobladores del Pacífico sur.

La Comisión Permanente de Contingencias (Copeco) emitió alerta roja en los departamentos caribeños ante la posibilidad de fuertes lluvias por el ciclón.

En Guatemala, hay un constante monitoreo sobre el fenómeno y se esperan lluvias que podrían provocar 'derrumbes, deslizamientos, crecidas de ríos e inundaciones por la saturación de agua que existe en los suelos', según David León, portavoz de la Coordinadora Nacional para la Reducción de Desastres (Conred).

En Nicaragua, el director del Sistema Nacional para la Prevención, Mitigación y Atención de Desastres (Sinapred), Guillermo González, advirtió que 'pueden haber daños materiales porque las viviendas son muy frágiles'.



Tags: