Mundo

VIDEOS: La furia del huracán Iota que arremete contra archipiélago del Caribe

Los pobladores de las islas comenzaron a reportar a través de sus redes sociales los momentos de tensión que vivieron

16.11.2020

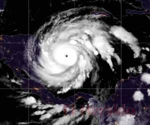
TEGUCIGALPA, HONDURAS.- El huracán Iota ingresó la noche del domingo a las islas de San Andrés, Providencia y Santa Catalina que juntas componen un archipiélago en el Caribe colombiano, muy cerca de C entroamérica.

Los pobladores de las islas comenzaron a reportar a través de sus redes sociales los momentos de tensión que vivieron cuando el agua del mar comenzó a subir de nivel y azotar con furia las costas, al tiempo que se reportaban interrupciones en el fluido eléctrico.

Algunas personas utilizaron sus dispositivos electrónicos para documentar la fuerza con la que Iota golpeaba las viviendas y árboles y pedían auxilio a las autoridades colombianas.

Mientras que la mañana de este lunes, algunos estructuras ya reportaban daños y la isla de Providencia se reportó incomunicada, pues según las denuncias los fuertes vientos dañaron los tendidos eléctricos.

VEA: Rescatistas salvadoreños en Guatemala y Honduras regresan a su país antes de la llegada de Iota

'Hemos tenido comunicación celular hasta las 2 de la mañana, posterior a eso nos ha tocado con teléfono satélital porque se perdieron la comunicaciones con el sector' aseguró a la emisora W Radio el coronel John Fredy Sepúlveda, comandante de policía del archipiélago.

Según Sepúlveda, otro de los lugares con mayores daños fue el hospital de la isla, ya que perdió parte de su techo.

Las autoridades se vieron forzadas a suspender la actividad en playas, anunciaron el cierre del aeropuerto y declararon un toque de queda por horas en la vecina isla de San Andrés, la más grande del archipiélago. La media estará vigente hasta la madrugada del martes.

VEA TAMBIÉN: Centroamérica se prepara para la arremetida del huracán Iota

A continuación algunos asombrosos videos:





































Tags: