Mundo

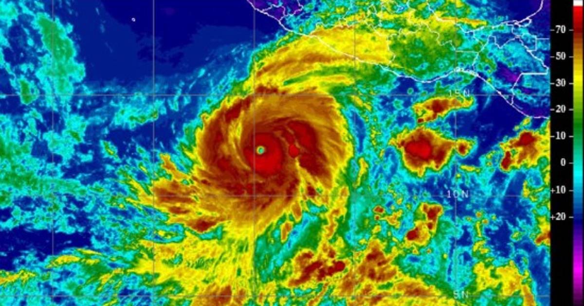
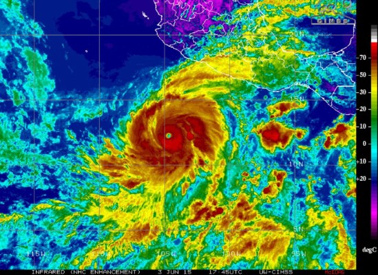
Huracán Blanca alcanza categoría 4

Los vientos sostenidos han alcanzado los 220 km por hora con rachas mayores y se espera que el ciclón se fortalezca en las próximas 24 horas, detalló un reporte del Centro de Huracanes de Estados Unidos con sede en Miami.

03.06.2015

México

El huracán Blanca alcanzó este miércoles la categoría 4 en su ruta por el Pacífico hacia el noroeste de México, donde autoridades ya se declararon en alerta a la espera del impacto del fenómeno el lunes, aunque se estima llegará debilitado.

Los vientos sostenidos han alcanzado los 220 km por hora con rachas mayores y se espera que el ciclón se fortalezca en las próximas 24 horas, detalló un reporte del Centro de Huracanes de Estados Unidos con sede en Miami.

A las 21H00 GMT, Blanca se encontraba prácticamente estacionado a 745 km al sur del puerto de Manzanillo, según el reporte.

Los pronósticos apuntan que el fenómeno podría tocar tierra el lunes en la zona sur de la península de Baja California (noroeste de México), correspondiente al turístico balneario de Los Cabos, pero ya debilitado a tormenta tropical.

En Cabo San Lucas, las autoridades locales declararon la 'alerta verde' y mantienen una estrecha vigilancia del avance de Blanca.

'Se le dará un seguimiento permanente para mantener informada a la población sobre las acciones que se deben desarrollar en caso de que se acerque a costas locales', dijo a la prensa Gregorio Pérez, coordinador de Protección Civil de Cabo San Lucas.

En septiembre pasado, el balneario de Los Cabos, con unos 240.000 habitantes y destino frecuente de turistas estadounidenses, sufrió el embate del huracán Odile, que dejó seis muertos y millonarias pérdidas materiales.

El Servicio Meteorológico de México pronosticó de su lado fuertes lluvias en los estados Jalisco, Michoacán (oeste) y Guerrero (sur), en la costa del Pacífico.

El fenómeno se formó el lunes como tormenta tropical y la tarde del martes se intensificó a huracán, siendo el segundo de la temporada en el Pacífico después de Andrés, ya degradado a tormenta tropical y a más de 1.600 km de la costa mexicana.