CIUDAD DE MÉXICO, MÉXICO.- El
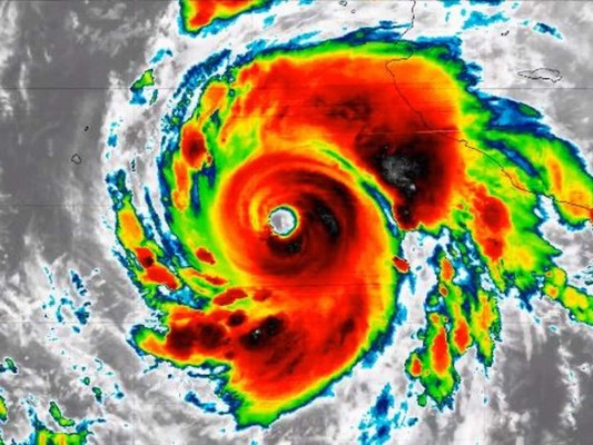
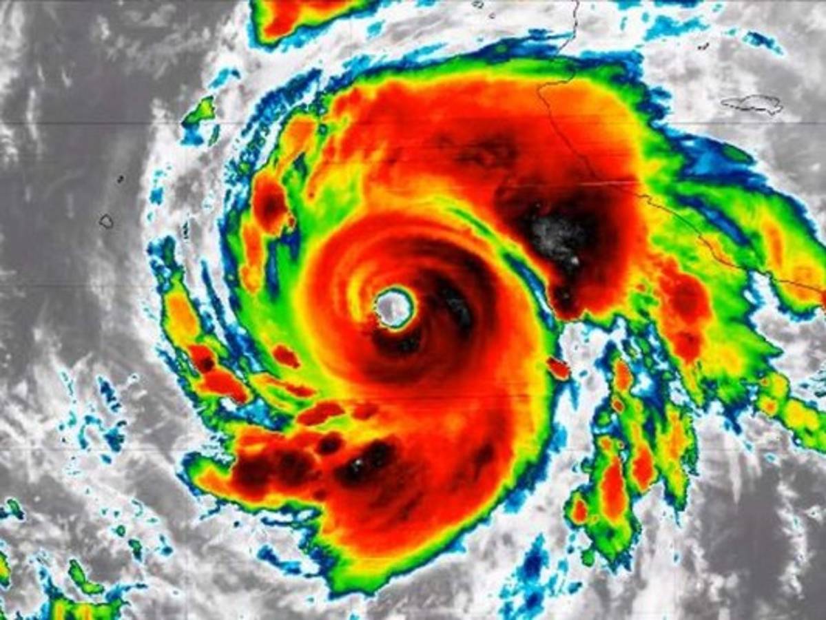
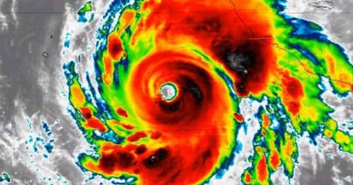
huracán Genevieve se fortaleció el martes por la mañana a una peligrosa tormenta de categoría 4 que provocará fuertes vientos en el
sur de Baja California, México, aunque su centro posiblemente no alcance tierra firme.
El Centro Nacional de Huracanes de Estados Unidos informó que la tormenta tenía vientos máximos sostenidos de 210 kilómetros por hora (130 millas) y se movía a 26 km/h (17 mph). Su vórtice estaba a unos 630 kilómetros (390 millas) al sur-sureste de la península mexicana de Baja California Sur.
Se emitió un aviso de tormenta tropical para partes de la península, desde Los Barriles a Todos Santos.
Según la previsión, el ojo de Genevieve avanzará en paralelo pero lejos de la costa, lo que ocasionará fuertes vientos y oleaje para el miércoles en la noche o el jueves.
El Centro Nacional de Huracanes de Estados Unidos informó que la tormenta tenía vientos máximos sostenidos de 210 kilómetros por hora (130 millas) y se movía a 26 km/h (17 mph). Su vórtice estaba a unos 630 kilómetros (390 millas) al sur-sureste de la península mexicana de Baja California Sur.
Se emitió un aviso de tormenta tropical para partes de la península, desde Los Barriles a Todos Santos.
Según la previsión, el ojo de Genevieve avanzará en paralelo pero lejos de la costa, lo que ocasionará fuertes vientos y oleaje para el miércoles en la noche o el jueves.