CABO SAN LUCAS, MÉXICO.- El poderoso
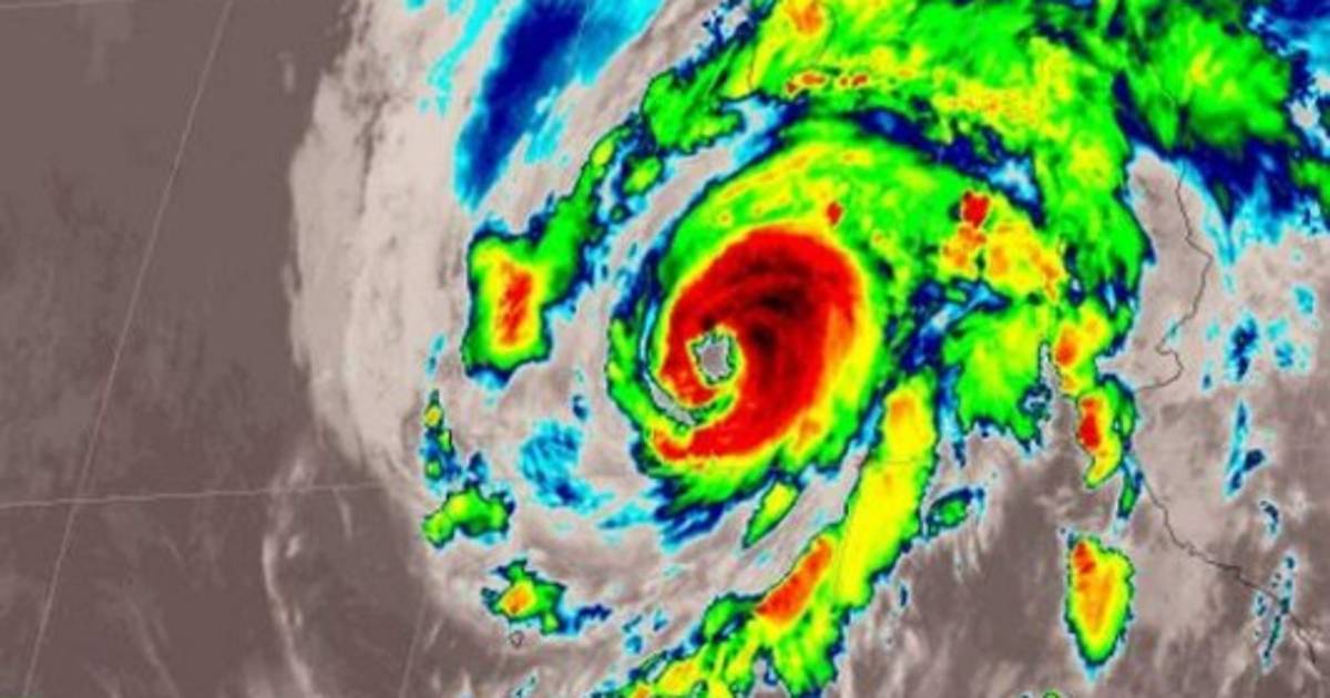
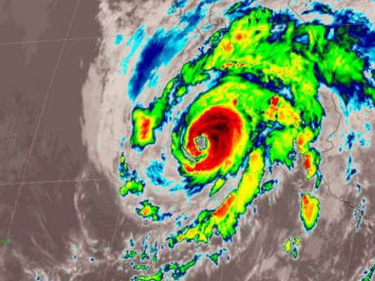
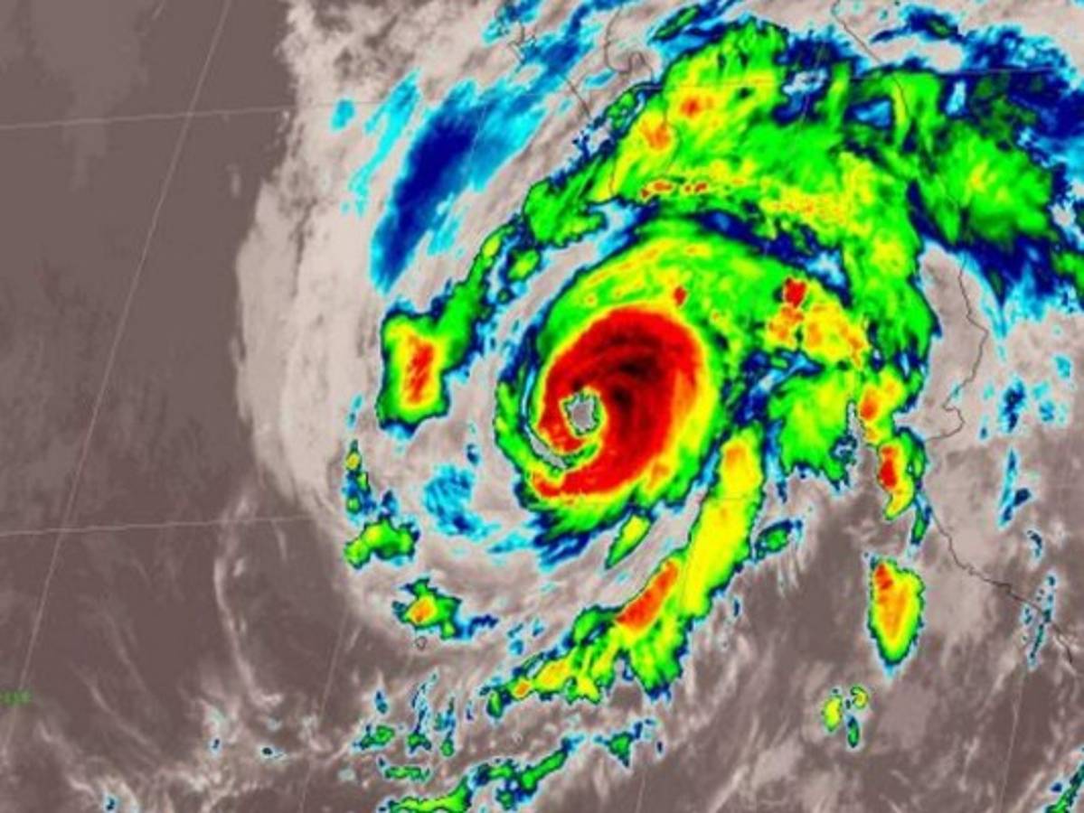
huracán Genevieve se acercaba el miércoles a las costas de
Baja California, México, amenazando con llevar vientos con fuerza de tormenta tropical a algunas partes de la península, aunque no está previsto que el ojo del meteoro toque tierra.
Se espera que el meteoro de categoría 3 pase cerca de la parte sur de la península entre el miércoles en la noche y el jueves, según el Centro Nacional de Huracanes de Estados Unidos (NHC, por sus siglas en inglés).
El fuerte oleaje ya causó dos decesos. Las autoridades en Cabo San Lucas informaron que una niña de 15 años quedó atrapada el martes en una ola enorme, lo mismo que un adulto que trató de salvarla.
Las autoridades del estado de Baja California Sur informaron que hay 15,000 turistas extranjeros, la mayoría en la zona de Los Cabos, que prácticamente había estado vacío debido a las restricciones por el coronavirus.
Genevieve tenía vientos máximos sostenidos de 185 kilómetros por hora (115 millas por hora) el miércoles temprano y estaba a 260 kilómetros (160 millas) al sur-sureste de la península bajacaliforniana. El huracán se movía con dirección noroeste a 15 km/h (9 mph).
“No nos queda más que llevar a un lugar seguro la lancha”, dijo Elio López mientras sacaba su bote de las aguas de Cabo San Lucas antes de la llegada de la tormenta.
Las autoridades cerraron el puerto e instalaron refugios para personas que necesitaran evacuar la zona. Más de 10,000 familias viven en casas de madera y cartón en asentamientos irregulares que son propensos a inundaciones en Cabo San Lucas, zonas que generalmente deben ser evacuadas cuando se acerca una tormenta.
En uno de esos vecindarios, El Caribe, los residentes parecían estar tranquilos el martes. “No nos han dicho nada, pero si hay fuerte aire, nos va a derrumbar el techo de la vivienda”, dijo Flor Juárez, quien se mudó al área hace tres años del estado sureño de Guerrero.
En las zonas turísticas de Cabo San Lucas, las calles estaban prácticamente vacías, pero llevan así algún tiempo. La mayoría de los negocios orientados al turismo siguen cerrados por la pandemia de coronavirus.
El director de protección civil de Los Cabos, Erick Santillán, dijo que a medida que la tormenta se acerque, las autoridades decidirían si abren refugios. “No nos va a impactar, pero nos dejará agua y fuertes vientos”, comentó. “Ya estamos trabajando en los preparativos”.
Se prevé que Genevieve arroje de 5 a 10 centímetros (2 a 4 pulgadas) de lluvia en algunas partes de Baja California Sur mientras avanza en paralelo a la costa.
Había una alerta de tormenta tropical activa para partes de la península, desde Los Barriles hasta Puerto Cortés.
Se espera que el meteoro de categoría 3 pase cerca de la parte sur de la península entre el miércoles en la noche y el jueves, según el Centro Nacional de Huracanes de Estados Unidos (NHC, por sus siglas en inglés).
El fuerte oleaje ya causó dos decesos. Las autoridades en Cabo San Lucas informaron que una niña de 15 años quedó atrapada el martes en una ola enorme, lo mismo que un adulto que trató de salvarla.
Las autoridades del estado de Baja California Sur informaron que hay 15,000 turistas extranjeros, la mayoría en la zona de Los Cabos, que prácticamente había estado vacío debido a las restricciones por el coronavirus.
Genevieve tenía vientos máximos sostenidos de 185 kilómetros por hora (115 millas por hora) el miércoles temprano y estaba a 260 kilómetros (160 millas) al sur-sureste de la península bajacaliforniana. El huracán se movía con dirección noroeste a 15 km/h (9 mph).
“No nos queda más que llevar a un lugar seguro la lancha”, dijo Elio López mientras sacaba su bote de las aguas de Cabo San Lucas antes de la llegada de la tormenta.
Las autoridades cerraron el puerto e instalaron refugios para personas que necesitaran evacuar la zona. Más de 10,000 familias viven en casas de madera y cartón en asentamientos irregulares que son propensos a inundaciones en Cabo San Lucas, zonas que generalmente deben ser evacuadas cuando se acerca una tormenta.
En uno de esos vecindarios, El Caribe, los residentes parecían estar tranquilos el martes. “No nos han dicho nada, pero si hay fuerte aire, nos va a derrumbar el techo de la vivienda”, dijo Flor Juárez, quien se mudó al área hace tres años del estado sureño de Guerrero.
En las zonas turísticas de Cabo San Lucas, las calles estaban prácticamente vacías, pero llevan así algún tiempo. La mayoría de los negocios orientados al turismo siguen cerrados por la pandemia de coronavirus.
El director de protección civil de Los Cabos, Erick Santillán, dijo que a medida que la tormenta se acerque, las autoridades decidirían si abren refugios. “No nos va a impactar, pero nos dejará agua y fuertes vientos”, comentó. “Ya estamos trabajando en los preparativos”.
Se prevé que Genevieve arroje de 5 a 10 centímetros (2 a 4 pulgadas) de lluvia en algunas partes de Baja California Sur mientras avanza en paralelo a la costa.
Había una alerta de tormenta tropical activa para partes de la península, desde Los Barriles hasta Puerto Cortés.