JALISCO, MÉXICO.- El
Huracán Nora tocó tierra este sábado en el
estado de Jalisco y se mantiene cerca de las
costas mexicanas del Pacífico con alta posibilidades de inundaciones y deslaves.
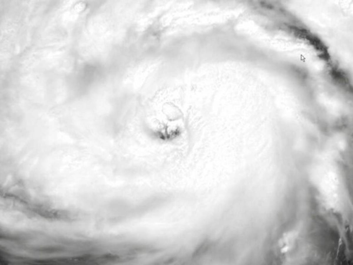
El centro de Nora, categoría 1 en la escala de Saffir-Simpson (de 5), 'permanece cerca de la costa de México después de tocar tierra en el noroeste de Jalisco', informó el Centro Nacional de Huracanes de Estados Unidos (NHC).
Las autoridades mexicanas exhortaban a la población a no salir de sus casas, y hasta el momento no habían reportado heridos.
Nora, que pasó de tormenta tropical a huracán la madrugada del sábado, impactó 'cerca de Vicente Guerrero (Jalisco), y ha continuado moviéndose cerca de la costa desde madrugadores', precisó el NHC.
A las 00H00 GMT del domingo, el ciclón se ubicaba a 50 km al sur-suroeste de Puerto Vallarta (Jalisco) y a 555 km de Cabo San Lucas (Baja California) y se mueve hacia el norte a una velocidad de 22 km/h con vientos sostenidos de 130 km/h, dijo el NHC.
El centro del huracán 'continuará moviéndose cerca de la costa de México durante las próximas horas' y después salir al Golfo de California, 'moviéndose en paralelo a la costa de México', añadió.
'Durante el paso del huracán Nora, bajo ningún motivo debes salir a las calles, ni intentar cruzar cuerpos de agua', advertir en Twitter el departamento de Protección Civil de Jalisco.
Las autoridades mexicanas habían habilitado 15 refugios en Jalisco y desplazado a socorristas en la zona de impacto.
El ciclón ha provocado lluvias puntuales torrenciales, de 150 a 250 mm, y oleaje de 3 a 5 metros en las playas de Colima, Jalisco y Michoacán.
Conagua, la autoridad meteorológica de México, advirtió que en las próximas horas 'la circulación de Nora ocasionará lluvias muy intensas en los estados de Nayarit, Jalisco, Colima y Michoacán'.
Alertó que son altas las probabilidades de que provoque deslaves y desbordamiento de ríos.
'Trombas en las costas desde Guerrero hasta Nayarit', también puede generar Nora.
El ciclón provocará vientos de 120 km/h a 140 km/h, advirtió Conagua.
El fin de semana pasado otro huracán, Grace, impactó en Veracruz (este) como categoría 3 en la escala Saffir-Simpson y provocó la muerte de al menos 11 personas en ese estado y su vecino, Puebla (centro).
El centro de Nora, categoría 1 en la escala de Saffir-Simpson (de 5), 'permanece cerca de la costa de México después de tocar tierra en el noroeste de Jalisco', informó el Centro Nacional de Huracanes de Estados Unidos (NHC).
Las autoridades mexicanas exhortaban a la población a no salir de sus casas, y hasta el momento no habían reportado heridos.
Nora, que pasó de tormenta tropical a huracán la madrugada del sábado, impactó 'cerca de Vicente Guerrero (Jalisco), y ha continuado moviéndose cerca de la costa desde madrugadores', precisó el NHC.
A las 00H00 GMT del domingo, el ciclón se ubicaba a 50 km al sur-suroeste de Puerto Vallarta (Jalisco) y a 555 km de Cabo San Lucas (Baja California) y se mueve hacia el norte a una velocidad de 22 km/h con vientos sostenidos de 130 km/h, dijo el NHC.
El centro del huracán 'continuará moviéndose cerca de la costa de México durante las próximas horas' y después salir al Golfo de California, 'moviéndose en paralelo a la costa de México', añadió.
Alertas de autoridades
El NHC no descarta que pueda girar hacia la derecha internándose en tierra y disipándose.'Durante el paso del huracán Nora, bajo ningún motivo debes salir a las calles, ni intentar cruzar cuerpos de agua', advertir en Twitter el departamento de Protección Civil de Jalisco.
Las autoridades mexicanas habían habilitado 15 refugios en Jalisco y desplazado a socorristas en la zona de impacto.
El ciclón ha provocado lluvias puntuales torrenciales, de 150 a 250 mm, y oleaje de 3 a 5 metros en las playas de Colima, Jalisco y Michoacán.
Conagua, la autoridad meteorológica de México, advirtió que en las próximas horas 'la circulación de Nora ocasionará lluvias muy intensas en los estados de Nayarit, Jalisco, Colima y Michoacán'.
Alertó que son altas las probabilidades de que provoque deslaves y desbordamiento de ríos.
'Trombas en las costas desde Guerrero hasta Nayarit', también puede generar Nora.
El ciclón provocará vientos de 120 km/h a 140 km/h, advirtió Conagua.
El fin de semana pasado otro huracán, Grace, impactó en Veracruz (este) como categoría 3 en la escala Saffir-Simpson y provocó la muerte de al menos 11 personas en ese estado y su vecino, Puebla (centro).