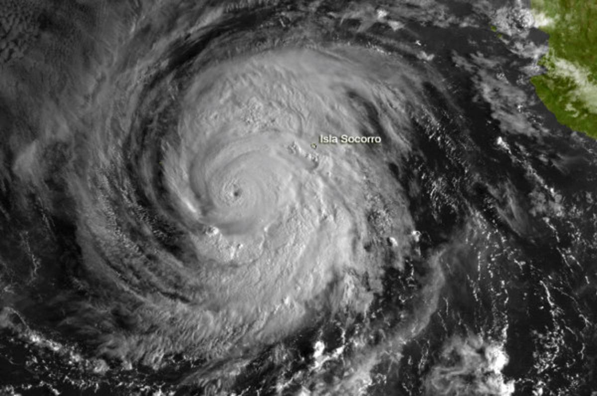
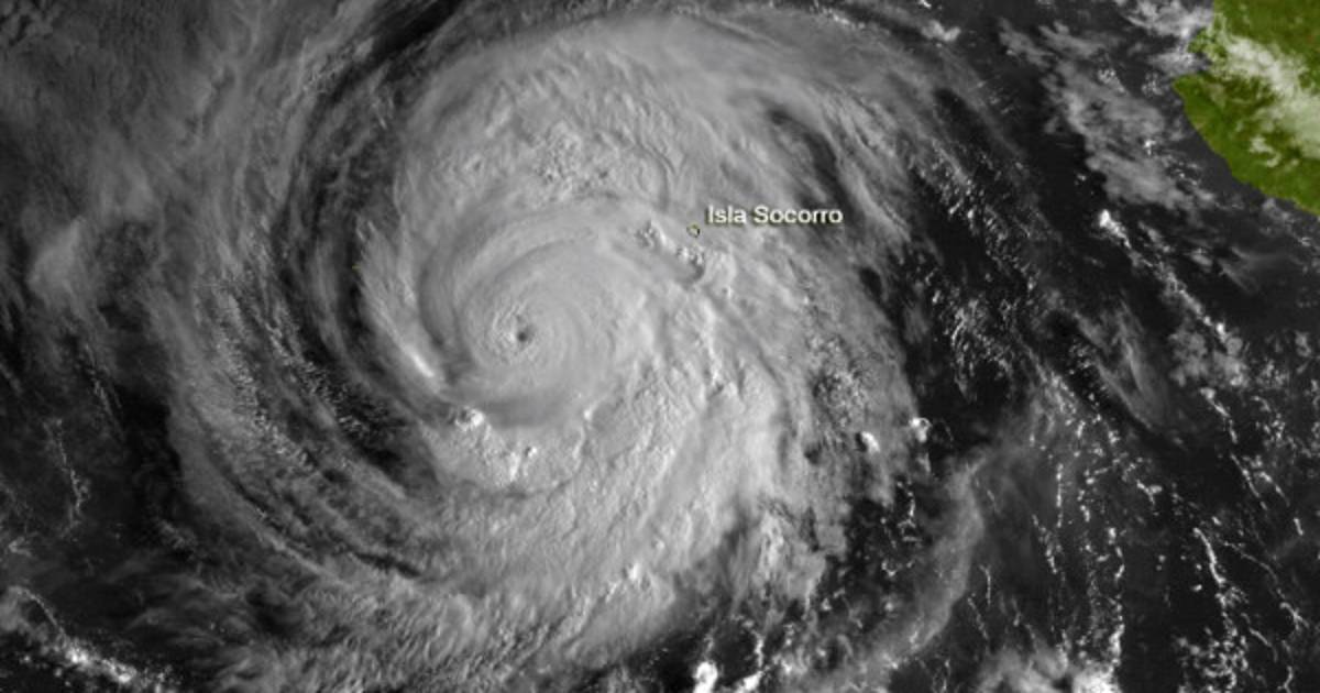
El huracán Miriam alcanzó este lunes la categoría tres en su trayectoria por el Pacífico al suroeste de la mexicana Península de Baja California, con vientos máximos de 195 km/h, pero por ahora no representa una amenaza para tierra, informó el Centro Nacional de Huracanes (CNH) de Estados Unidos.
A las 15H00 GMT, el ciclón se encontraba a 655 km al sur-suroeste del sur del extremo de la Península de Baja California con vientos máximos sostenidos de 195 km/h con ráfagas aún mayores, desplazándose al noroeste a 19 km/h.
Horas antes, los meteorólogos pronosticaron un fortalecimiento adicional hasta alcanzar la categoría tres en la escala Saffir-Simpson.
'Miriam es un huracán categoría tres de la escala de cinco niveles Saffir-Simpson' y 'se espera un fortalecimiento adicional hoy (lunes) pero con pronósticos de un debilitamiento gradual a partir del martes', apuntó el CNH, organismo con sede en Miami.
La fuerza de los vientos se extiende hasta 45 km a partir del centro de Miriam, mientras los vientos de tormenta tropical alcanzan hasta 185 km del ojo del ciclón.
Por el momento, el CNH no ha emitido ningún tipo de alerta ni vigilancia de huracán para zonas costeras, sin embargo apuntó que Miriam poducirá marejadas que afectarán las costas del sur y oeste de la Península de Baja california en los próximos días.
'Estas marejadas son peligrosas para los surfistas', alertó el reporte en Estados Unidos al recomendar consultar las condiciones meteorológicas con las autoridades locales.
Se pronostica que el ciclón se traslade hacia el norte y eventualmente encuentre aguas más frías y con ello sus vientos pierdan fuerza y organización.