Mundo

Evacuaciones en Carolina del Norte por huracán María

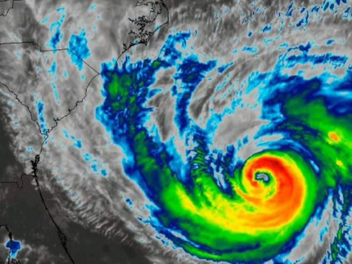
El Centro Nacional de Huracanes emitió una advertencia de tormenta tropical desde Cape Lookout a la localidad de Duck

25.09.2017

Carolina del Norte, Estados Unidos
El huracán María se dirigía el lunes a las islas frente a la costa de Carolina del Norte, donde las autoridades ordenaron la evacuación de los habitantes.

A las 5:00 de la mañana comenzaron las evacuaciones en la Isla Ocracoke, anunció la policía local. No quedaba claro cuántos habitantes están cumpliendo con la orden.

El Centro Nacional de Huracanes emitió una advertencia de tormenta tropical desde Cape Lookout a la localidad de Duck. También se le pidió a la población ejercer cautela desde Surf City a Cape Lookout, y desde Duck a la frontera con Virginia.

Las autoridades advirtieron que podría haber oleaje de entre 0,6 metros a un metro (de 2 a 4 pies) y que la lluvia acumulada podría alcanzar los 5 centímetros (2 pulgadas).