Mundo

La ronda 'infernal' de los nombres de los ciclones

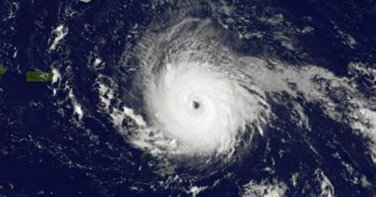
El Centro Nacional de Huracanes, con base en Miami (Estados Unidos), tiene seis listas de 21 nombres, cada una para el Caribe, el golfo de México y el Atlántico Norte, utilizando una cada año

06.09.2017

París, Francia
Después de Harvey e Irma, vendrá José. Y es que todos los huracanes tropicales tienen un nombre propio, elegido con antelación y fácil de recordar para facilitar la gestión de la emergencia.

Se trata de una práctica antigua. El uso de un nombre corto reduce el riesgo de error. 'Es mucho más fácil de memorizar que una cifra o un término técnico', subraya la Organización Meteorológica Mundial (OMM).

'Un nombre facilita el trabajo de la prensa, refuerza el impacto de las advertencias y acrecienta la preparación de las poblaciones', según la OMM, órgano de la ONU.

Las propuestas de nombres vienen de los organismos regionales.

La OMM, que dispone de corresponsales en cada región, se pronuncia al respecto e interviene para evitar eventuales polémicas.

Así, en 2015, retiró el nombre 'Isis' de la lista de futuros huracanes en la región Norte-Pacífico, puesto que el nombre de la diosa egipcia es también uno de los acrónimos en inglés del grupo yihadista Estado Islámico.

El Centro Nacional de Huracanes, con base en Miami (Estados Unidos), tiene seis listas de 21 nombres, cada una para el Caribe, el golfo de México y el Atlántico Norte, utilizando una cada año.

Las listas siguen un orden alfabético y se saltan las letras con las que es muy difícil encontrar un nombre, como la Q y la U.

Al cabo de seis años, se vuelve a retomar la primera lista. Pero, cuando un huracán provoca muchas víctimas y daños, se retira su nombre. Así, no habrá más 'Katrinas'.

2017 empezó con Arlene, seguido de Bret, Cindy y Don. Irma figura en novena posición. Después de José, vendrán Katia, Lee y María.

Los nombres son ingleses, españoles y franceses, en referencia a los países potencialmente afectados.

Desde fines del siglo XVIII, se ponen nombres a los ciclones. Hasta principios del siglo XX, los que golpeaban las islas españolas del Caribe eran llamados según el santo patrono del día.

Durante la Segunda Guerra Mundial, los marinos estadounidenses empezaron a bautizar a los ciclones con los nombres de sus mujeres o amantes.

En 1953, la Oficina meteorológica estadounidense empezó a tomar también nombres de mujeres, pero en los años 1970, las feministas protestaron contra esta asociación a un fenómeno devastador.

En 1979, se estableció la paridad, con una alternancia de nombres propios femeninos y masculinos.