Mundo

Huracán Laura ya es categoría 4 y avanza hacia Estados Unidos  

El huracán tocará las costas de Texas y Luisiana en la noche y se adentrará en el continente esta misma noche o el jueves por la mañana

26.08.2020

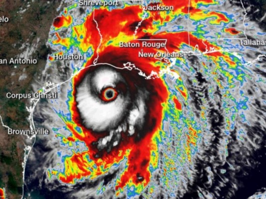
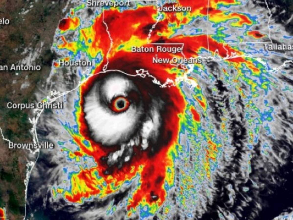
LAKE CHARLES, ESATDOS UNIDOS. - Laura se acerca este miércoles a las costas de Luisiana y Texas como un huracán categoría 4 'extremadamente peligroso', lo que ha obligado a evacuar a centenares de miles de personas ante la amenaza de crecidas 'catastróficas'.

El ciclón avanza con vientos de 220 km/h y rachas más fuertes, y se espera que alcance esos dos estados del sur de Estados Unidos por la noche, informó el Centro Nacional de Huracanes (NHC).

Una marejada ciclónica con 'enormes olas destructivas causará daños catastróficos' en la costa de ambos estados, dijo el NHC.

Sumadas a la marea alta, esas marejadas, que podrían penetrar unos 50 km tierra adentro, podrían causar una crecida de las aguas de entre 4,5 y 6 metros por encima del nivel normal.

Se anticipa, no obstante, un 'rápido debilitamiento una vez que Laura toque tierra', indicó el NHC, que también advirtió de lluvias de entre 130 y 250 milímetros, con algunos picos de casi 400 mm en el oeste de Luisiana y el este de Texas.

VEA: Huracán Laura causa estragos en el Caribe y se dirige a Texas y Luisiana (FOTOS)

El huracán también amenaza las principales refinerías de petróleo de Lake Charles en Luisiana y de Beaumont y Port Arthur en Texas, ubicadas cerca de la costa.

Más de 100 plataformas petroleras en el golfo de México fueron evacuadas como medida de precaución.

Según el boletín del NHC de las 18H00 GMT, Laura se encontraba a 320 km al sur-sureste de Lake Charles y a igual distancia de Port Arthur, Texas, y se desplazaba a 16 km/h.

El huracán tocará las costas de Texas y Luisiana en la noche y 'se adentrará en el continente esta misma noche o el jueves por la mañana'.

Los fuertes vientos están empujando las aguas del Golfo de México hacia la costa en Port Bolivar, Texas. Wilford Raney grabó un video que muestra la escena en Port Bolivar esta tarde:

ENTÉRESE: EEUU cambia pautas sobre cuándo aplicar pruebas de covid-19

Huir del camino de Laura

El gobernador de Texas, Greg Abbott, urgió a los residentes a evacuar sus hogares. 'Tienen apenas unas horas más para alejarse del daño', dijo en Weather Channel.

'Esta es una tormenta muy peligrosa, más fuerte que la mayoría que han atravesado' las costas del estado, agregó, instando a hacer 'todo lo posible para salir del camino' de Laura.

El presidente Donald Trump pidió a los residentes de las zonas de afectación que 'escuchen a los funcionarios locales'.

'Laura es un huracán muy peligroso y se intensifica rápidamente', tuiteó Trump. 'Mi gobierno sigue colaborando plenamente con los administradores de emergencias estatales y locales'.

Jimmy Ray estaba entre quienes tenían orden de evacuación en Lake Charles, Luisiana. Al principio 'íbamos a intentar aguantar en la casa, pero vimos que iba a ser muy fuerte' el huracán, dijo a la AFP.

+Hallan fosa común con restos del siglo XIX

Patricia Como, otra evacuada de Lake Charles, dijo que sus hermanos, sus primos y otros familiares habían decidido quedarse, pero que ella no quería arriesgarse. 'No voy a jugar con Dios', dijo.

Craig Brown, el alcalde interino de la isla de Galveston, Texas, que sufrió el huracán más mortífero en la historia de Estados Unidos en 1900 con miles de muertos, dijo que las autoridades estaban 'vigilando muy de cerca' la situación.

'Hemos tenido una buena cooperación de nuestros residentes en la evacuación', señaló.

'Si quieren quedarse, lo permitiremos' pero 'si se quedan, es posible que no tengan ningún servicio de emergencia disponible', aclaró.

Evitar contagios

Angela Jouett, que dirige las operación de evacuación en Lake Charles, dijo que se habían dispuesto nuevos protocolos debido a la pandemia de coronavirus.

El gobernador Abbott, cuyo estado sufre una importante ola de contagios de covid-19, instó a aquellos que pudieran pagarlo a refugiarse en hoteles y moteles 'para aislarse'.

Tags: