Huracán Kristy se intensifica hasta categoría 4 mientras se aleja de México

El fenómeno climatológico Kristy se va alejando del territorio mexicano, desplazándose hacia el oeste del Océano Pacífico a 31 kilómetros por hora

  • Actualizado: 23 de octubre de 2024 a las 00:00
Huracán Kristy se intensifica hasta categoría 4 mientras se aleja de México

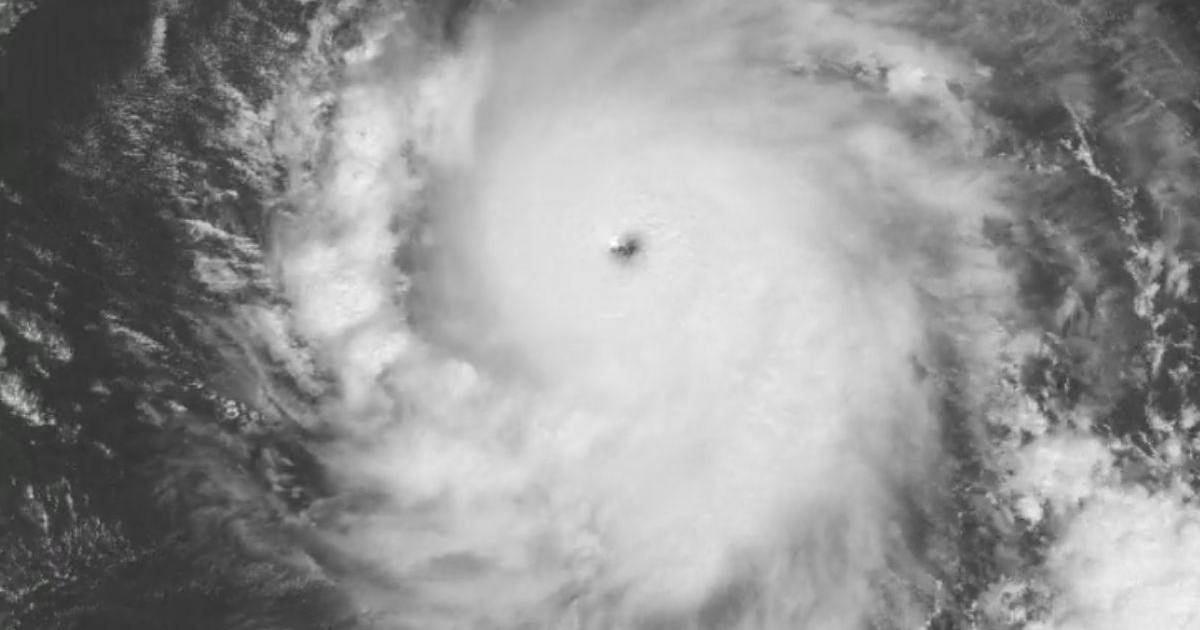
Ciudad de México, México.- El huracán Kristy se intensificó este miércoles a la categoría 4, en la escala Saffir-Simpson, en el océano Pacífico, mientras se aleja del territorio mexicano, informó el Servicio Meteorológico Nacional (SMN) de México.

El último reporte del organismo de la Comisión Nacional del Agua (Conagua) del gobierno mexicano detalló que su centro se localizó a 710 kilómetros al suroeste de isla Socorro, en el estado de Colima, y a 1,140 km de Cabo San Lucas, en Baja California Sur.

Asesinan a menor migrante hondureño en México

También precisó que Kristy presenta vientos máximos sostenidos de 250 kilómetros por hora (km/h), rachas de 305 km/h.

Las autoridades meteorológicas añadieron que mantiene su desplazamiento hacia el oeste del Océano Pacífico a 31 km/h, mientras se aleja del territorio mexicano.

“Debido a su distancia y trayectoria, no representa peligro para el territorio mexicano”, señaló en su reporte.

Miles de migrantes parten en caravana a Estados Unidos desde la frontera sur de México

Según el pronóstico del SMN, Kristy podría alcanzar la categoría 5 en la noche de este miércoles o en la madrugada del jueves, hasta reducir su intensidad a ciclón postropical el próximo lunes 28 de octubre.

Apenas el pasado lunes 21 de octubre se formó Kristy como tormenta tropical al sur de las costas de los estados de Guerrero y Michoacán, generando desde entonces lluvias fuertes en el occidente, sur y sureste del país.

Únete a nuestro canal de WhatsApp

Infórmate sobre las noticias más destacadas de Honduras y el mundo.
Redacción web
Agencia EFE

EFE es la primera agencia de noticias en castellano, con 85 años de trayectoria que avalan su imparcialidad, su potencia, su credibilidad y su inmediatez.

Te gustó este artículo, compártelo
Últimas Noticias