Miami, Florida
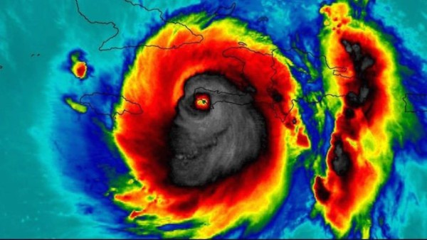
El huracán Matthew no solo ha aterrorizado al Caribe. Los cibernautas están histéricos luego de que un meteorólogo compartiera una imagen satelital en la que el ciclón parece una calavera. Sí, una calavera con todo y dientes.
La imagen, que muestra al huracán a través de lentes infrarrojos, fue publicada en Twitter por el meteorólogo del Weather Channel Stu Ostro, cuando Matthew comenzaba su entrada a Haití.
En la publicación, el experto asegura que la imagen no está editada. “Cara siniestra del huracán Matthew al tocar tierra en Haití”, publicó Ostro.
Según el meteorólogo de CNN Judson Jones, los científicos utilizan las tablas de color para identificar las partes más fuertes de la tormenta.
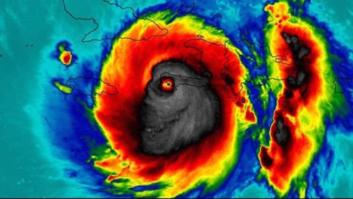
El huracán Matthew no solo ha aterrorizado al Caribe. Los cibernautas están histéricos luego de que un meteorólogo compartiera una imagen satelital en la que el ciclón parece una calavera. Sí, una calavera con todo y dientes.
La imagen, que muestra al huracán a través de lentes infrarrojos, fue publicada en Twitter por el meteorólogo del Weather Channel Stu Ostro, cuando Matthew comenzaba su entrada a Haití.
En la publicación, el experto asegura que la imagen no está editada. “Cara siniestra del huracán Matthew al tocar tierra en Haití”, publicó Ostro.
Según el meteorólogo de CNN Judson Jones, los científicos utilizan las tablas de color para identificar las partes más fuertes de la tormenta.