Mundo

EN VIVO: Esta es la trayectoria que sigue el huracán Florence rumbo a Estados Unidos

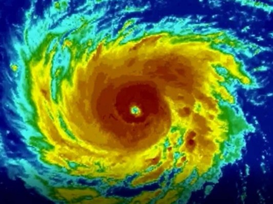
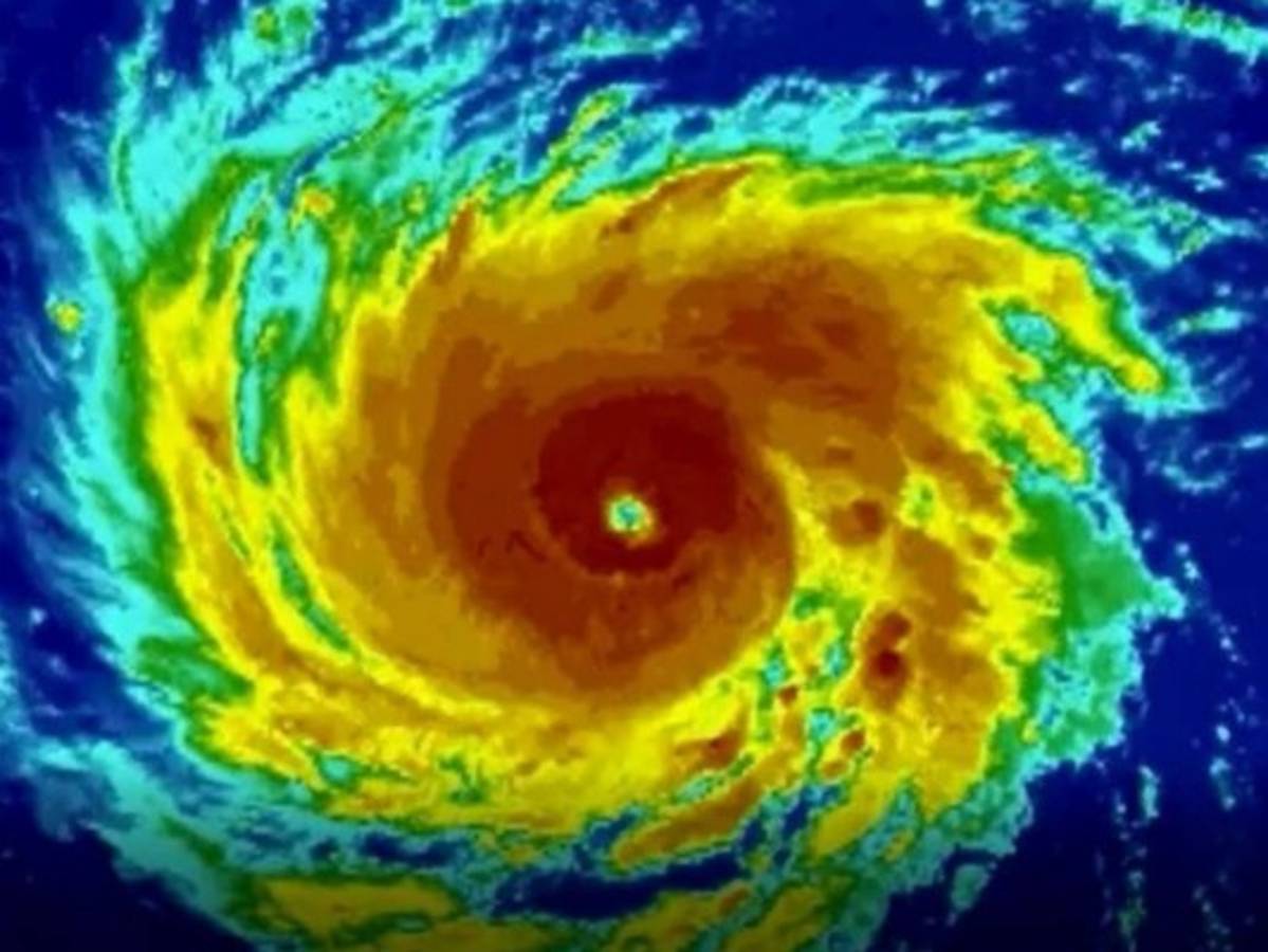
El huracán Florence avanza este martes con vientos de más de 220 km/hora hacia la costa este de Estados Unidos

FOTOGALERÍA
11.09.2018

CAROLINA DEL NORTE, ESTADOS UNIDOS.- El Centro Nacional de Huracanes (NHC, por sus siglas en inglés) informó que este martes el huracán Florence avanza a Las Carolinas, en la costa sureste de Estados Unidos. Se espera que en las próximas horas se intensifique.

En Carolina del Sur, el gobernador Henry McMaster ordenó evacuar a partir del mediodía del martes ocho condados a lo largo de la costa. La orden es aplicable para los condados de Jasper, Beaufort, Colleton, Charleston, Dorchester, Georgetown, Horry y Berkeley.

McMaster manifestó que las marejadas pueden llegar a hasta 3 metros (10 pies) de altura y que aproximadamente un millón de residentes dejarán el área costera.

Los primeros efectos del huracán Florence provocaron fuertes corrientes en las playas e inundaciones en una carretera estatal.

Según un probable patrón de trayectoria, el centro de Florence se moverá entre Bermudas y las Bahamas hasta mañana, miércoles, y se acercará a la costa de Carolina del Norte o Carolina del Sur el jueves.

Los expertos del NHC prevén que Florence se intensifique más en las próximas 24 horas y se mantenga como un huracán 'extremadamente peligroso' hasta el jueves.

Vea: Así se ve desde el espacio el potente huracán Florence

En Virginia, su gobernador, Ralph Northam, ordenó la evacuación de las 245,000 personas que viven en áreas del estado consideradas propensas a inundaciones.

Por su parte, Carolina del Norte empezó a evacuar a aquellos ciudadanos que lo deseen. Aún no se ha emitido ninguna orden obligatoria, pero sí hay estado de emergencia.

El presidente estadounidense, Donald Trump, solicitó en Twitter a los ciudadanos que sigan las indicaciones de las autoridades.