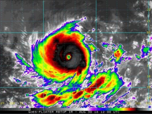
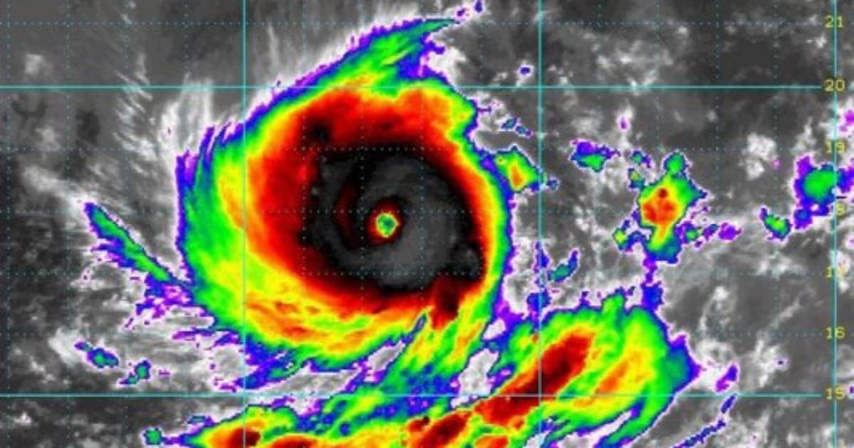
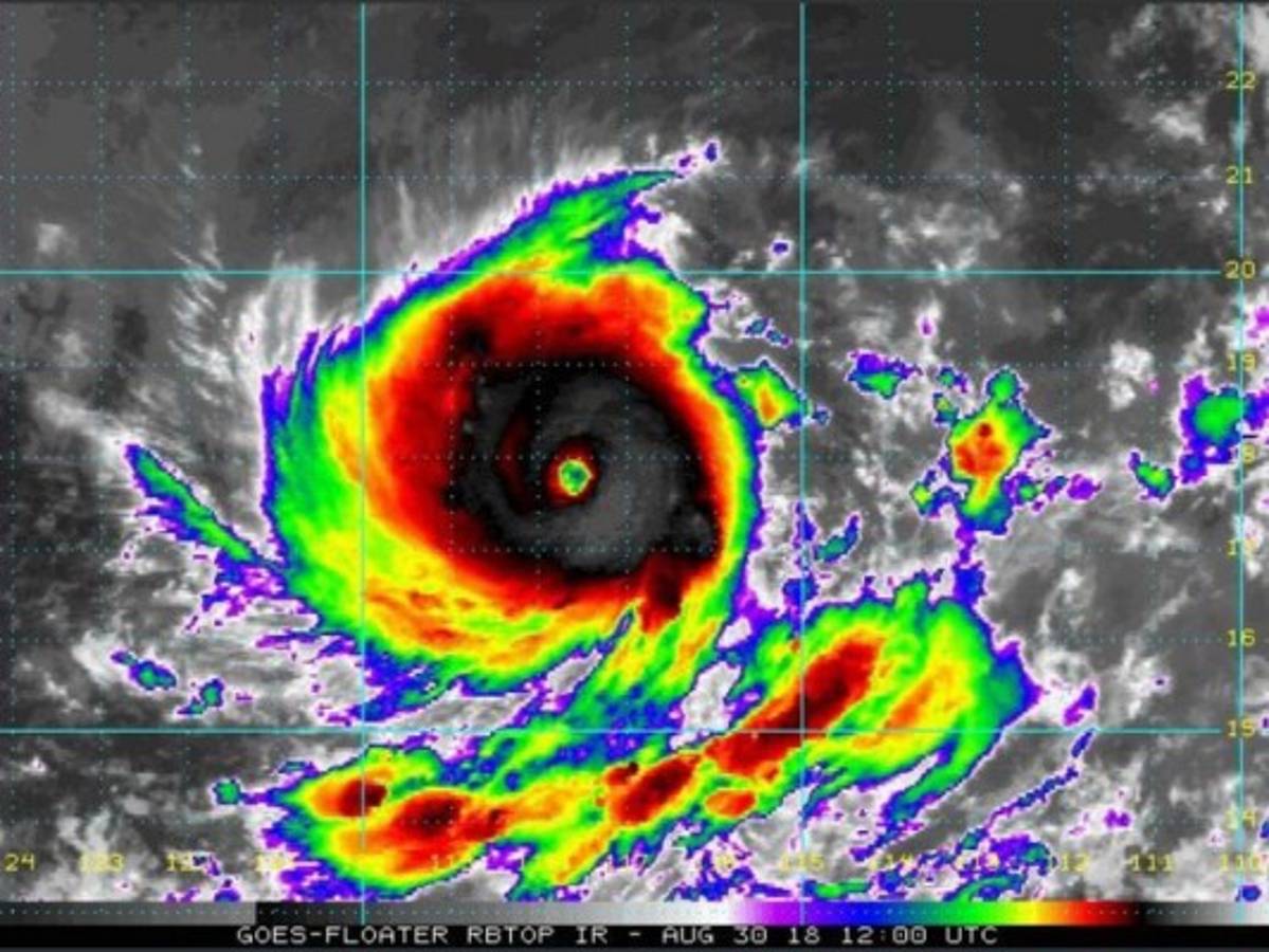
CIUDAD DE MÉXICO, MÉXICO.- El huracán Norman se convirtió en una tormenta de categoría 4 en el este del océano Pacífico y podría volverse aún más fuerte.
Sin embargo, el Centro Nacional de Huracanes de Estados Unidos dijo que hasta el momento no representa una amenaza para la tierra.
Los meteorólogos dicen que Norman tenía vientos máximos sostenidos de 230 kilómetros por hora (145 millas) el jueves temprano.
Su vórtice estaba a 965 kilómetros (600 millas) al suroeste del extremo sur de la península de Baja California en México y se movía hacia el oeste a 11 km/h (7 mph).
El centro dijo que Norman podría ganar más fuerza antes de comenzar a debilitarse el viernes por la noche o el sábado.
Sin embargo, el Centro Nacional de Huracanes de Estados Unidos dijo que hasta el momento no representa una amenaza para la tierra.
Los meteorólogos dicen que Norman tenía vientos máximos sostenidos de 230 kilómetros por hora (145 millas) el jueves temprano.
Su vórtice estaba a 965 kilómetros (600 millas) al suroeste del extremo sur de la península de Baja California en México y se movía hacia el oeste a 11 km/h (7 mph).
El centro dijo que Norman podría ganar más fuerza antes de comenzar a debilitarse el viernes por la noche o el sábado.