Nuevo gabinete de Gobierno
Toma de posesión
Nuevo gobierno
logo-hamburguesa
  • EH Plus
    • Investigaciones
    • Data
    • EH Explica
    • Interactivos
  • Inicio
  • Honduras
  • EH Verifica
  • Economía
    • Dinero & negocios
    • Sendas del café
  • EH Ambiente
  • Brand Studio
    • De interés
    • Acontecer empresarial
    • Ediciones comerciales
  • Tegucigalpa
  • Fotogalerías
    • Honduras
    • Sucesos
    • Entretenimiento
    • Deportes
    • Tegucigalpa en fotos
    • Mundo
  • Entretenimiento
  • Sociales
  • Deportes
  • EH Trámites
  • Videos
  • Hondureños en el mundo
  • Opinión
    • Editorial
    • Columnistas
    • Héroe y Villano
    • Cartas al editor
    • Caricaturas
  • Apuntes
  • Trending
  • Utilidad
    • Tecnología
    • Salud y belleza
    • Sexo y pareja
    • Empleos
    • Motores
  • Revistas
    • Siempre
    • Crímenes
  • Buen provecho
  • Especiales
  • Documentos
  • Edición diaria
  • Edición PDF
  • El Heraldo
  • La Prensa
  • Diez
  • Revista Estilo
  • Buen Provecho
  • Revista E&N
  • Suscripción
  • Lo último
  • Honduras
  • Sucesos
  • Entretenimiento
  • Deportes
  • Mundo
  • Tegucigalpa
  • EH Plus
  • Videos
  • Fotogalerías
  • Edición PDF
  • Boletines
Según las autoridades educativas, los principales daños en los centros escolares están relacionados con filtraciones de agua, techos deteriorados y cableado eléctrico en mal estado.
Radiografía

Unas 7,000 escuelas y colegios públicos registran daños en Honduras

En menos de un mes inicia el año escolar en Honduras, pero alrededor de 7,000 centros educativos presentan daños en su infraestructura. Lluvias de 2025 dejaron daños en varias escuelas

  • Daniela Ortega
11/01/2026
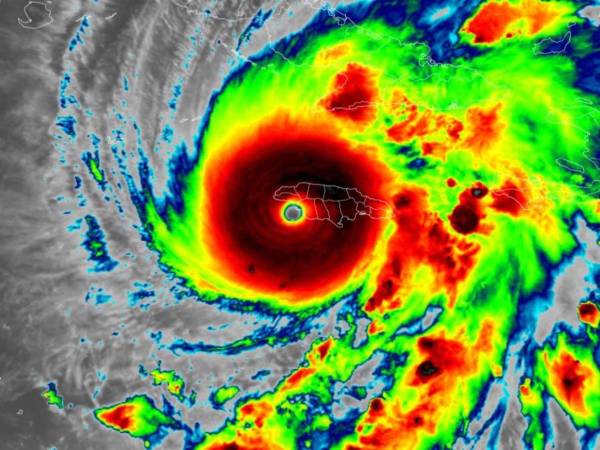
Se trata del primer huracán que toca tierra en el Atlántico como categoría 5 desde 2019, cuando Dorian golpeó en Bahamas.
Alerta

Catastrófico huracán Melissa toca tierra en Jamaica; sigue en categoría 5

El huracán se desplaza actualmente a unos 7 kilómetros por hora en dirección nornoreste, lo que podría empeorar la devastación que ocasione en tierra

  • Agencia EFE
28/10/2025
Rafael causó estragos en Cuba, donde hubo decenas de derrumbes por los fuertes vientos.
Huracán

El huracán Rafael baja a categoría 2, pero causa fuertes lluvias en México

El ciclón Rafael, que se prevé no tocaría tierra, presenta vientos máximos sostenidos de 175 kilómetros por hora, rachas de 215 kilómetros por hora

  • Agencia EFE
08/11/2024
Más de 200 muertes, destrucción e inundaciones catastróficas fue el saldo del paso del huracán Helene por Estados Unidos. La zona más afectada por el temporal fue Carolina del Norte.
Daños

La devastación de Helene: más de 200 muertos e inundaciones catastróficas

A una semana del huracán Helene aún no se han podido cuantificar las muertes y daños provocadas, pues se han complicado los trabajos de rescate

  • Nicolle López
03/10/2024
Los ciudadanos solo deben llamar durante las jornadas en las que el personal de la DGPC esté trabajando para que atiendan la denuncia que les aqueje. Hay operativos durante toda la semana.
Cuidado

Perdió la llave del locker en una tienda: ¿Qué hacer y a quién llamar?

Los compradores no están obligados a pagar cantidades absurdas por la pérdida de una llave, por lo que pueden llamar a la DGPC para denunciar al local

  • José Valeriano
17/04/2024
Ante la ausencia de autoridades, las escuelas están tomando a bien remodelar las aulas por su cuenta.
Atraso

Estudiantes y docentes requieren mejores condiciones para este 2024

Los centros educativos que se prometieron reparar en el 2023 aún continúan a la espera. Espacios dañados desalientan a jóvenes; maestros buscan ayudas

  • José Valeriano
18/01/2024
En Acapulco, muchos vecinos compraron agua y alimentos a última hora mientras comercios y casas protegían los ventanales cubriéndolos con maderas o con cinta adhesiva en forma de X.
Videos

Huracán Otis pierde fuerza tras golpear puerto de Acapulco

El sur de México sigue afectado por los “fuertes vientos” y las “intensas lluvias” que podrían provocar inundaciones y deslaves de tierra

  • Agencia AFP
25/10/2023
Las peluquerías se ven obligadas a cerrar tras los cortes, pues sus máquinas solo pueden funcionar con energía eléctrica .
Problemática

Emprendedores, los principales afectados por los apagones en la capital

Las interrupciones de energía eléctrica son constantes. Los pequeños negocios se quejan por las pérdidas

  • Marbin López
03/05/2023
Así luce actualmente una parte aledaña a la reserva natural luego del incendio que comenzó el lunes.
Descuido

Un 20 por ciento de La Tigra podría desaparecer en 15 años, alertan expertos

La mano humana será, en su mayoría, la responsable de que 4,764 hectáreas de área boscosa se pierda

  • José Valeriano
05/04/2023
Un voraz incendio registrado en horas de la mañana consumió unas bodegas ubicadas en el barrio Medina de San Pedro Sula, provocando la zozobra de los residentes en el populoso sector. Durante varias horas los miembros del Cuerpo de Bomberos se dieron la tarea de controlar las llamas y a pesar de lograr cumplir con su objetivo, el siniestro dejó severos daños en la infraestructura de las instalaciones y millonarias pérdidas a los negocios que están ahí ubicados.
TRÁGICO

Severos daños y millonarias pérdidas: Las imágenes del voraz incendio en SPS

Un voraz incendio registrado en horas de la mañana consumió unas bodegas ubicadas en el barrio Medina de San Pedro Sula, provocando la zozobra de los residentes en el populoso sector. Durante varias h...

  • Redacción
22/03/2022
logo footer eh
  • Facebook
  • X
  • Instagram
  • YouTube
  • TikTok
  • android PlayStore
  • AppStore
Secciones
  • EH Plus
  • Tegucigalpa
  • Honduras
  • Sucesos
  • Economía
  • EH Trámites
  • Opinión
  • EH Verifica
  • Fotogalerías
  • Deportes
  • Videos
  • Hondureños en el mundo
Boletines
  • Cruzando Fronteras
  • Conéctate
  • Noticias
  • Semana en imágenes
  • Buen Provecho
Suscríbete
  • Beneficio
  • Ingresar
  • Notificaciones
Grupo OPSA
  • El Heraldo
  • La Prensa
  • Diez
  • Revista Estilo
  • Buen Provecho
  • Revista E&N
  • Suscripción
Acerca de El Heraldo
  • Visión y Misión
  • Politicas de privacidad
  • Anúnciate con nosotros
  • Mapa del sitio
  • Kiosco
  • Preguntas frecuentes
  • Contáctenos
Edición impresa
En una magistral conducta abusiva Luis Redondo publica una ley sin que se aprobara

En una magistral conducta abusiva Luis Redondo publica una ley sin que se aprobara

sábado 31 de ene de 2026 Ediciones Anteriores
El Heraldo - Todos los derechos reservados ©