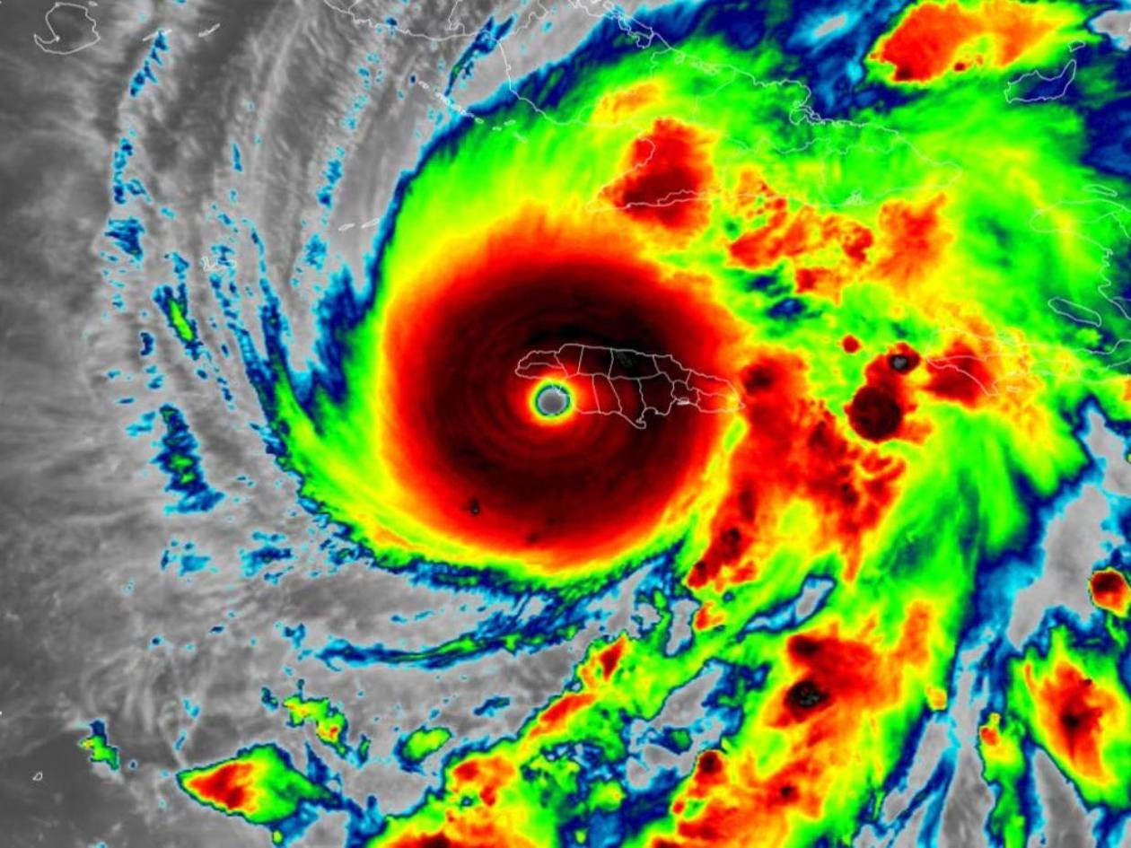
Catastrófico huracán Melissa toca tierra en Jamaica; sigue en categoría 5

El huracán se desplaza actualmente a unos 7 kilómetros por hora en dirección nornoreste, lo que podría empeorar la devastación que ocasione en tierra

  • Actualizado: 28 de octubre de 2025 a las 11:21

Miami, Estados Unidos.- El potente huracán Melissa tocó este martes tierra en Jamaica con vientos máximos sostenidos cercanos a los 295 kilómetros por hora (183 millas), lluvias torrenciales y marejadas que amenazan con provocar inundaciones y daños catastróficos.

El ciclón, el de mayor intensidad esta temporada en el Atlántico, entró a Jamaica cerca de la localidad de Black River, en el suroeste de la isla, convertido en un huracán de categoría 5, informó el Centro Nacional de Huracanes (NHC, en inglés) de Estados Unidos.

El organismo prevé que Melissa mantenga su intensidad extrema antes de cruzar el sureste de Cuba el miércoles y llegar a las Bahamas el jueves.

Huracán Melissa rompe récord histórico de lluvias y velocidad de viento en el Caribe

Se trata del primer huracán que toca tierra en el Atlántico como categoría 5 desde 2019, cuando Dorian golpeó en Bahamas.

El NHC, con sede en Miami, advirtió que el huracán viene acompañado de "vientos catastróficos" y solicitó a la población de Jamaica que busque refugio de manera inminente puesto que se trata de una situación "extremadamente peligrosa y que amenaza la vida".

El huracán se desplaza actualmente a unos 7 kilómetros por hora en dirección nornoreste, lo que podría empeorar la devastación que ocasione en tierra.

Melissa generará lluvias acumuladas de entre 38 y 76 centímetros (15 a 30 pulgadas) sobre la isla, con máximos de hasta 1 metros (40 pulgadas), lo que provocará inundaciones repentinas y deslizamientos de tierra generalizados, según el NHC.

Únete a nuestro canal de WhatsApp

Infórmate sobre las noticias más destacadas de Honduras y el mundo.
Redacción web
Agencia EFE

EFE es la primera agencia de noticias en castellano, con 85 años de trayectoria que avalan su imparcialidad, su potencia, su credibilidad y su inmediatez.

Te gustó este artículo, compártelo
Últimas Noticias