Puerto Rico se compromete a ayudar a los afectados por huracán Melissa en Jamaica

El Centro Médico de San Juan está en comunicación con las autoridades de salud con el fin de evaluar posibles mecanismos de apoyo médico y humanitario

  • Actualizado: 28 de octubre de 2025 a las 12:23
Puerto Rico se compromete a ayudar a los afectados por huracán Melissa en Jamaica

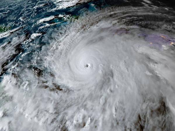
San Juan.- El Gobierno de Puerto Rico anunció este martes la puesta en marcha el Programa 'Puerto Rico abraza a Jamaica', una acción humanitaria para ayudar a los damnificados del poderoso huracán Melissa que azota hoy al país caribeño.

"Puerto Rico sabe lo que significa reconstruir tras la devastación. Hoy, extendemos nuestros brazos a Jamaica con el compromiso de compartir recursos, conocimiento y esperanza", expresó la gobernadora de la isla, Jenniffer González, en un comunicado.

La secretaria de Estado, Rosachely Rivera, informó, por su parte, que la iniciativa se coordina con el Departamento de Estado federal para trabajar junto a las agencias gubernamentales, con equipos de rescate y bomberos, por si son necesarios movilizarlos a Jamaica.

Unos 24 mil jamaicanos quedan sin luz tras fuertes lluvias por huracán Melissa

Asimismo, Rivera aseguró que establecerá contacto con organizaciones sin fines de lucro para brindar ayuda humanitaria.

A su vez, el Departamento de Seguridad Pública (DSP) informó "que una vez más Puerto Rico está posicionado" para apoyar los esfuerzos de recuperación de algún desastre natural en algún otro país del Caribe.

En esa línea, el DSP emitió una orden preparatoria interna del Cuerpo de Bomberos, Manejo de Emergencias y el Cuerpo de Emergencias Médicas. Este componente será de unas 40 personas aproximadamente.

Catastrófico huracán Melissa toca tierra en Jamaica; sigue en categoría 5

Esto se hará bajo un pedido formal a través del Gobierno jamaiquino al Departamento de Estado federal, según se dijo.

Por su parte, el director ejecutivo de la Administración de Servicios Médicos, Regino Colón Alsina, informó que el Centro Médico de San Juan está en comunicación con las autoridades de salud locales y regionales, con el fin de evaluar posibles mecanismos de apoyo médico y humanitario para afectados en el Caribe.

El funcionario destacó que la institución continúa fortaleciendo su capacidad de respuesta mediante la comunicación constante con el sistema de trauma y los hospitales afiliados en Puerto Rico, así como con los equipos de transporte aéreo y terrestre especializados en el manejo de pacientes críticos.

Únete a nuestro canal de WhatsApp

Infórmate sobre las noticias más destacadas de Honduras y el mundo.
Redacción web
Agencia EFE

EFE es la primera agencia de noticias en castellano, con 85 años de trayectoria que avalan su imparcialidad, su potencia, su credibilidad y su inmediatez.

Te gustó este artículo, compártelo
Últimas Noticias