Unos 24 mil jamaicanos quedan sin luz tras fuertes lluvias por huracán Melissa

El director ejecutivo de la JPS señaló que aproximadamente el 75 % de los clientes de estos distritos están sin electricidad debido al impacto de Melissa

  • Actualizado: 28 de octubre de 2025 a las 11:42

San Juan.- La Compañía de Servicios Públicos de Jamaica (JPS, en inglés) informó este martes de que cerca de 240,000 jamaicanos, alrededor del 35 % de los clientes, se encuentran sin servicio de energía eléctrica tras el impacto del huracán Melissa, de categoría 5, que tocó tierra en Parottee, en Saint Elizabeth (suroeste).

El presidente y director ejecutivo de la JPS, Hugh Grant, detalló que en los municipios de Saint Elizabeth, Manchester, Hanover y Saint James, se notificaron la mayor parte de los clientes sin servicio eléctrico.

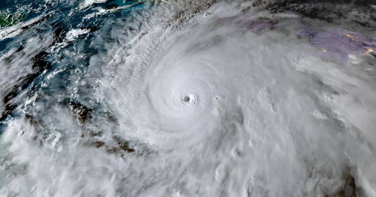
El ciclón, el de mayor intensidad esta temporada en el Atlántico, llegó a Jamaica a las 11:00 hora local (16:00 GMT) con vientos máximos sostenidos cercanos a los 295 kilómetros por hora (183 millas), lluvias torrenciales y marejadas que amenazan con provocar inundaciones y daños catastróficos.

"Seguimos respondiendo y trabajando sin descanso para restablecer el servicio a nuestros clientes de forma segura y oportuna", explicó Grant en una rueda de prensa celebrada en el Centro Nacional de Operaciones de Emergencia (NEOC, en inglés), en New Kingston.

Catastrófico huracán Melissa toca tierra en Jamaica; sigue en categoría 5

Por otro lado, el número de personas en los refugios ha aumentado a casi 6.000, según Desmond McKenzie, el ministro jamaicano de Desarrollo Comunitario y responsable de la respuesta ante desastres.

Las autoridades reportaron que están recibiendo llamadas de personas en Saint Elizabeth que necesitan transporte para llegar hasta los refugios.

El Gobierno prevé que más de 50.000 personas serán desplazadas debido al impacto de Melissa.

"No es momento de ser valientes. No apuesten contra Melissa, es una apuesta que no podemos ganar", aseveró McKenzie.

Al menos tres muertos en Jamaica durante preparativos por el huracán Melissa

En este contexto, el director principal del Servicio Meteorológico, Evan Thompson, advirtió a la población civil a extremar la precaución al salir.

El Gobierno de Jamaica prevé que los vuelos de emergencia y socorro podrán aterrizar en el Aeropuerto Internacional Norman Manley (NMIA) el jueves, tras el paso del huracán.

Melissa entró en Jamaica cerca de la localidad de Black River, en el suroeste de la isla, convertido en un huracán de categoría 5, informó el Centro Nacional de Huracanes (NHC, en sus siglas en inglés) de Estados Unidos.

El organismo prevé que Melissa mantenga su intensidad extrema antes de cruzar el sureste de Cuba el miércoles y llegar a las Bahamas el jueves.

Melissa generará lluvias acumuladas de entre 38 y 76 centímetros sobre la isla, con máximos de hasta 1 metro, lo que provocará inundaciones repentinas y deslizamientos de tierra generalizados, según el NHC.

Únete a nuestro canal de WhatsApp

Infórmate sobre las noticias más destacadas de Honduras y el mundo.
Redacción web
Agencia EFE

EFE es la primera agencia de noticias en castellano, con 85 años de trayectoria que avalan su imparcialidad, su potencia, su credibilidad y su inmediatez.

Te gustó este artículo, compártelo
Últimas Noticias