Las primeras fotos de la llegada del huracán Harvey a Texas, EEUU
-
Los vientos fuertes golpean casas de la playa antes del huracán Harvey que se acerca en Corpus Christi, Tejas el 25 de agosto de 2017.
Harvey, que está programado para aterrizar más tarde hoy o el sábado temprano, estaba empaquetando vientos máximos sostenidos de cerca de 120 millas (195 kilómetros) por hora, dijo el Centro Nacional de Huracanes. / AFP PHOTO / MARK RALSTON 25/08/2017 - 00:001 / 20 -
Las ondas golpean la orilla del huracán cercano Harvey el 25 de agosto de 2017 en Corpus Christi, Tejas. El huracán Harvey se ha intensificado en un huracán y apunta a la costa de Texas con el potencial de hasta 3 pies de lluvia y vientos de 125 mph. Joe Raedle / Getty Images / AFP 25/08/2017 - 00:002 / 20 -
El huracán Harvey se ha intensificado en un huracán y apunta a la costa de Texas con el potencial de hasta 3 pies de lluvia y vientos de 125 mph. Joe Raedle / Getty Images / AFP 25/08/2017 - 00:003 / 20 -
Una señal de tráfico avisa a viajeros del huracán cercano Harvey el 25 de agosto de 2017 en Corpus Christi, Tejas. El huracán Harvey se ha intensificado en un huracán y apunta a la costa de Texas con el potencial de hasta 3 pies de lluvia y vientos de 125 mph. Joe Raedle / Getty Images / AFP 25/08/2017 - 00:004 / 20 -
Cody Munds, Lee Martin y John Pezzi (L-R) llenan los sacos de arena mientras que la gente se prepara para acercarse al huracán Harvey el 25 de agosto de 2017 en Corpus Christi, Tejas. El huracán Harvey se ha intensificado en un huracán y apunta a la costa de Texas con el potencial de hasta 3 pies de lluvia y vientos de 125 mph. Joe Raedle / Getty Images / AFP 25/08/2017 - 00:005 / 20 -
Lilyann Lewis evacúa su hogar antes del huracán Harvey que se acerca el 25 de agosto de 2017 en Corpus Christi, Tejas 25/08/2017 - 00:006 / 20 -
Familias en Texas evacúan ante la llegada del Harvey 25/08/2017 - 00:007 / 20 -
Alejandra Cisneros y Stephanie Cisneros (L-R) caminan a través de la lluvia eólica mientras caminan juntos antes de la llegada del huracán Harvey el 25 de agosto de 2017 en Corpus Christi, Texas. El huracán Harvey se ha intensificado en un huracán y apunta a la costa de Texas con el potencial de hasta 3 pies de lluvia y vientos de 125 mph. Joe Raedle / Getty Images / AFP 25/08/2017 - 00:008 / 20 -
Sal Valerio camina cerca de las aguas de la bahía mientras que churn del huracán cercano Harvey el 25 de agosto de 2017 en Corpus Christi, Tejas. El huracán Harvey se ha intensificado en un huracán y apunta a la costa de Texas con el potencial de hasta 3 pies de lluvia y vientos de 125 mph. Joe Raedle / Getty Images / AFP 25/08/2017 - 00:009 / 20 -
Harvey se ha intensificado en un huracán y apunta a la costa de Texas con el potencial de hasta 3 pies de lluvia y vientos de 125 mph. Joe Raedle / Getty Images / AFP 25/08/2017 - 00:0010 / 20 -
Sal Valerio camina cerca de las aguas de la bahía mientras que churn del huracán cercano Harvey el 25 de agosto de 2017 en Corpus Christi, Tejas. El huracán Harvey se ha intensificado en un huracán y apunta a la costa de Texas con el potencial de hasta 3 pies de lluvia y vientos de 125 mph. Joe Raedle / Getty Images / AFP 25/08/2017 - 00:0011 / 20 -
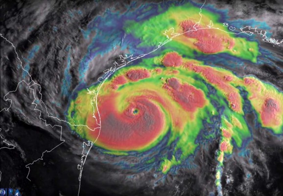
This August 25, 2017, blended visible/infrared image of Hurricane Harvey obtained from The National Oceanic and Atmospheric Administration shows the storms eye as it nears landfall in the southeastern coast of Texas.
Harvey has intensified into a powerful category three storm, US meteorologists said on August 25, as the Gulf Coast states of Texas and Louisiana braced for the first major hurricane to hit land since 2005. Harvey, which is set to make landfall late Friday into early Saturday, was packing maximum sustained winds of close to 120 miles (195 kilometers) per hour, the National Hurricane Center said. / AFP PHOTO / NOAA / HO / RESTRICTED TO EDITORIAL USE - MANDATORY CREDIT 'NOAA' - NO MARKETING NO ADVERTISING CAMPAIGNS - DISTRIBUTED AS A SERVICE TO CLIENTS
25/08/2017 - 00:0012 / 20 -
Horses are evacuated in San Antonio, Texas, on August 25, 2017, as Hurricane Harvey approaches.
Harvey has intensified into a powerful category three storm, US meteorologists said August 25, as the Gulf Coast states of Texas and Louisiana braced for the first major hurricane to hit land since 2005. Harvey, which is set to make landfall late Friday into early Saturday, was packing maximum sustained winds of close to 120 miles (195 kilometers) per hour, the National Hurricane Center said. / AFP PHOTO / MARK RALSTON 25/08/2017 - 00:0013 / 20 -
Un residente local fotografía la playa en Corpus Christi, Texas, mientras que el huracán Harvey se acerca el 25 de agosto de 2017. Harvey se ha intensificado en una poderosa tormenta de categoría tres, dijeron meteorólogos estadounidenses el 25 de agosto. El primer gran huracán que golpeó tierra desde 2005. Harvey, que está programado para llegar a tierra el viernes a principios de sábado, estaba empaquetando vientos máximos sostenidos de cerca de 120 millas (195 kilómetros) por hora, dijo el Centro Nacional de Huracanes. / AFP / MARK 25/08/2017 - 00:0014 / 20 -
Local residents walk through strong winds beside the Lexington aircraft carrier before the approaching Hurricane Harvey in Corpus Christi, Texas on August 25, 2017.
Hurricane Harvey will soon hit the Texas coast with forecasters saying it is possible expect up to 3 feet of rain and 125 mph winds. / AFP PHOTO / MARK RALSTON 25/08/2017 - 00:0015 / 20 -
Strong winds batter a house on Padre Island before the approaching Hurricane Harvey in Corpus Christi, Texas on August 25, 2017.
Hurricane Harvey will soon hit the Texas coast with forecasters saying it is possible expect up to 3 feet of rain and 125 mph winds. / AFP PHOTO / MARK RALSTON 25/08/2017 - 00:0016 / 20 -
A car drives past a boarded up gas station before the approaching Hurricane Harvey in Corpus Christi, Texas on August 25, 2017.
Hurricane Harvey will soon hit the Texas coast with forecasters saying it is possible expect up to 3 feet of rain and 125 mph winds. / AFP PHOTO / MARK RALSTON 25/08/2017 - 00:0017 / 20 -
La gente se prepara para evacuar antes del huracán Harvey que se acerca en Corpus Christi, Tejas el 25 de agosto de 2017. El huracán Harvey pronto golpeará la costa de Tejas con los pronosticadores que dicen que es posible esperar hasta 3 pies de lluvia y vientos de 125 mph. / AFP / MARK RALSTON 25/08/2017 - 00:0018 / 20 -
: Una persona es golpeada por una ola agitada por el huracán cercano Harvey el 25 de agosto de 2017 en Corpus Christi, Tejas. El huracán Harvey se ha intensificado en un huracán y apunta a la costa de Texas con el potencial de hasta 3 pies de lluvia y vientos de 125 mph. Joe Raedle / Getty Images / AFP
25/08/2017 - 00:0019 / 20 -
La gente recorre a través de la lluvia conducida viento antes de la llegada del huracán Harvey el 25 de agosto de 2017 en Corpus Christi, Tejas. El huracán Harvey se ha intensificado en un huracán y apunta a la costa de Texas con el potencial de hasta 3 pies de lluvia y vientos de 125 mph. Joe Raedle / Getty Images / AFP 25/08/2017 - 00:0020 / 20