Elecciones Honduras 2025
Selección de Honduras
Miss Universo 2025
logo-hamburguesa
  • EH Plus
    • Investigaciones
    • Data
    • EH Explica
    • Interactivos
  • Inicio
  • Honduras
  • EH Verifica
  • Economía
    • Dinero & negocios
    • Sendas del café
  • EH Ambiente
  • Brand Studio
    • De interés
    • Acontecer empresarial
    • Ediciones comerciales
  • Tegucigalpa
  • Fotogalerías
    • Honduras
    • Sucesos
    • Entretenimiento
    • Deportes
    • Tegucigalpa en fotos
    • Mundo
  • Entretenimiento
  • Sociales
  • Deportes
  • EH Trámites
  • Videos
  • Hondureños en el mundo
  • Opinión
    • Editorial
    • Columnistas
    • Héroe y Villano
    • Cartas al editor
    • Caricaturas
  • Apuntes
  • Trending
  • Utilidad
    • Tecnología
    • Salud y belleza
    • Sexo y pareja
    • Empleos
    • Motores
  • Revistas
    • Siempre
    • Crímenes
  • Buen provecho
  • Especiales
  • Documentos
  • Edición diaria
  • Edición PDF
  • El Heraldo
  • La Prensa
  • Diez
  • Revista Estilo
  • Buen Provecho
  • Revista E&N
  • Suscripción
  • Lo último
  • Honduras
  • Sucesos
  • Entretenimiento
  • Deportes
  • Mundo
  • Tegucigalpa
  • EH Plus
  • Videos
  • Fotogalerías
  • Edición PDF
  • Boletines
Honduras Decide
Chat
Chatbot inteligente Inicia un chat
Avatar
Avatar interactio Conversa sin límites
Honduras Decide
Chat
Chatbot inteligente Explora propuestas de campaña
Avatar
Avatar interactivo Resuelve tus dudas del proceso
Perfiles
Perfiles
Candidatos
Cómo-Votar
Cómo
Votar
Donde Votar
Dónde
Votar
Verificación
El Heraldo
Verifica
Podcast
Pódcast
FALTAN
30
DÍAS
05
HORAS
01
MIN
01
SEG
SEGUIR COBERTURA
FALTAN
30
DÍAS
05
HORAS
01
MIN
01
SEG
SEGUIR COBERTURA
Sin importar que una anciana de 91 años no pueda caminar, ni que varias familias quedaran con sus viviendas completamente cobijadas por el río Goascorán, el huracán Julia causó severos daños en Alianza, Valle. El lente de EL HERALDO efectuó un recorrido por la zona y aquí te mostramos las trágicas escenas.
¡DESASTRE!

No midió edades ni consecuencias: Julia dejó bajo y entre lodo a El Cubulero

Sin importar que una anciana de 91 años no pueda caminar y que su vivienda fuera completamente cobijada por el río Goascorán, el huracán Julia causó severos daños en Alianza

  • Redacción El Heraldo
11/10/2022
Un espejo de lo que fue Eta y Iota se volvió a ver en la tormenta tropical Julia que en solo tres días causó severos daños en Honduras, muertes y millonarias pérdidas.Aquí te contamos cómo fueron estos días que los hondureños mantuvieron el terror y el llanto presente.
¡DEVASTADOR!

Los tres días devastadores de tormenta Julia en Honduras

Un espejo de lo que fue Eta y Iota se volvió a ver en la tormenta tropical Julia que en solo tres días causó severos daños en Honduras, muertes y millonarias pérdidas

  • Redacción
11/10/2022
Miembros de las fuerzas armadas salvadoreñas caminan en el área donde cinco soldados murieron por un deslizamiento de tierra tras el paso de la tormenta tropical Julia, en Comasagua, El Salvador.
EFECTOS JULIA

Tormenta Julia, ya disipada, dejó al menos 28 muertos en Centroamérica

El centro del huracán Julia tocó tierra en Nicaragua en la costa cerca de Laguna de Perlas, según el Centro Nacional de Huracanes

  • Agencia AFP
11/10/2022
Julia aún será la protagonista de las lluvias en Honduras.
PRONÓSTICO

Secuelas de huracán Julia seguirá dejando lluvias este martes en Honduras

Se estimó que los mayores acumulados de lluvias se registran sobre áreas del occidente, suroccidente y sur del país

  • Redacción
11/10/2022
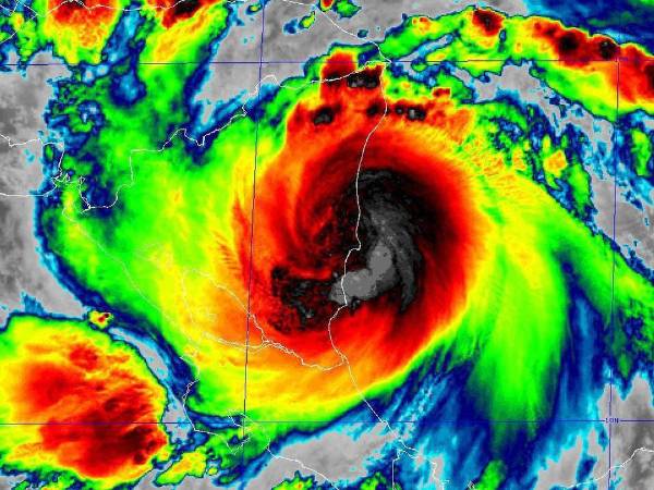
El centro de Julia se movía a media mañana del lunes en suelo de Guatemala, y según el CNH se mantiene “el riesgo” de inundaciones y deslizamientos de tierra que “amenazan la vida” en Centroamérica y el sur de México.
DEJÓ DAÑOS

Julia se convierte en depresión tropical; suma ocho muertos en Centroamérica

El centro del huracán Julia tocó tierra en Nicaragua a lo largo de la costa cerca de Laguna de Perlas, según el Centro Nacional de Huracanes de Estados Unidos

  • Agencia AFP
10/10/2022
Ocotepeque está sin paso producto de un alud de tierra generado debido a las constantes lluvias que azotan al país.
ALERTA

Interrumpido el paso a Ocotepeque por alud en la carretera

Este deslizamiento sucedió en el sector de El Portillo, de acuerdo a reportes de habitantes en la zona a medios de comunicación local

  • Redacción
10/10/2022
Honduras ya reportas víctimas mortales por Julia.
TRAGEDIA

Julia ya deja 24 muertos en total entre Venezuela, Honduras y Panamá

Una mujer de 22 años es la primera víctima mortal de Julia en Honduras tras ser arrastrada por una quebrada

  • Redacción
09/10/2022
La Lima se alista para el impacto a consecuencia de la tormenta Julia en Honduras.
Tormenta Julia

Comienzan evacuaciones en La Lima por inundaciones

Producto de este disturbio tropical el caudal del río Ulúa aumentó y se estaban presentando algunas inundaciones en la zona

  • Redacción
09/10/2022
En Colón fueron reportadas inundadas varios sectores residenciales.
VIDEOS

Estragos que provoca tormenta Julia en Honduras

Ríos desbordados, deslizamientos y hondureños angustiados son parte de los videos que circulan en las redes sociales sobre los disturbios que ha ocasionado este fenómeno natural

  • Redacción
09/10/2022
Salvador Nasralla insta a autoridades a tener cuidado por crecida del río Chamelecón.
Por crecida de río

Salvador Nasralla advierte “cuidado” a tomadores de decisión

El río Chamelecón subirá un metro más, a 3.25, con respecto a lo que subió en septiembre (2.25)”, posteó Nasralla

  • Redacción
09/10/2022
Cargar más
logo footer eh
  • Facebook
  • X
  • Instagram
  • YouTube
  • TikTok
  • android PlayStore
  • AppStore
Secciones
  • EH Plus
  • Tegucigalpa
  • Honduras
  • Sucesos
  • Economía
  • EH Trámites
  • Opinión
  • EH Verifica
  • Fotogalerías
  • Deportes
  • Videos
  • Hondureños en el mundo
Boletines
  • Cruzando Fronteras
  • Conéctate
  • Noticias
  • Semana en imágenes
  • Buen Provecho
Suscríbete
  • Beneficio
  • Ingresar
  • Notificaciones
Grupo OPSA
  • El Heraldo
  • La Prensa
  • Diez
  • Revista Estilo
  • Buen Provecho
  • Revista E&N
  • Suscripción
Acerca de El Heraldo
  • Visión y Misión
  • Politicas de privacidad
  • Anúnciate con nosotros
  • Mapa del sitio
  • Kiosco
  • Preguntas frecuentes
  • Contáctenos
Edición impresa
El Salvador y Guatemala con cero aranceles y Trump los mantiene a Honduras

El Salvador y Guatemala con cero aranceles y Trump los mantiene a Honduras

viernes 14 de nov de 2025 Ediciones Anteriores
El Heraldo - Todos los derechos reservados ©