Caída de El Mencho
Frente frío
logo-hamburguesa
  • EH Plus
    • Investigaciones
    • Data
    • EH Explica
    • Interactivos
  • Inicio
  • Honduras
  • EH Verifica
  • Economía
    • Dinero & negocios
    • Sendas del café
  • EH Ambiente
  • Brand Studio
    • De interés
    • Acontecer empresarial
    • Ediciones comerciales
  • Tegucigalpa
  • Fotogalerías
    • Honduras
    • Sucesos
    • Entretenimiento
    • Deportes
    • Tegucigalpa en fotos
    • Mundo
  • Entretenimiento
  • Sociales
  • Deportes
  • EH Trámites
  • Videos
  • Hondureños en el mundo
  • Opinión
    • Editorial
    • Columnistas
    • Héroe y Villano
    • Cartas al editor
    • Foto del día
  • Apuntes
  • Trending
  • Utilidad
    • Tecnología
    • Salud y belleza
    • Sexo y pareja
    • Empleos
    • Motores
  • Revistas
    • Tictac
    • Siempre
    • Crímenes
  • Buen provecho
  • Especiales
  • Documentos
  • Edición diaria
  • Edición PDF
  • El Heraldo
  • La Prensa
  • Diez
  • Revista Estilo
  • Buen Provecho
  • Revista E&N
  • Suscripción
  • Lo último
  • Honduras
  • Sucesos
  • Entretenimiento
  • Deportes
  • Mundo
  • Tegucigalpa
  • EH Plus
  • Videos
  • Fotogalerías
  • Edición PDF
  • Boletines
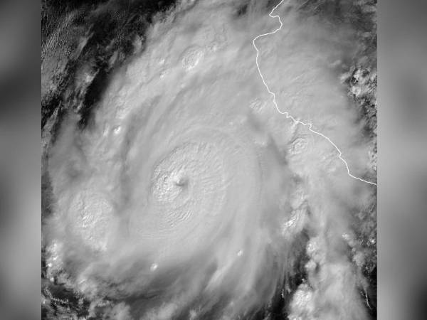
Esta imagen satelital de la Administración Nacional Oceánica y Atmosférica muestra al huracán Roslyn acercándose a la costa del Pacífico de México el 22 de octubre de 2022 a las 15:50 UTC.
Alerta

Roslyn toca tierra en Pacífico mexicano como huracán categoría 3

El Servicio Meteorológico mexicano advirtió de su lado que Roslyn provoca fuertes vientos, intensas precipitaciones, descargas eléctricas y oleaje de hasta seis metros

  • Agencia AFP
23/10/2022
Así se muestra la trayectoria de Roslyn en el Pacífico.
Fenómeno natural

Huracán Roslyn sube a categoría 3 y se acerca a costa pacífica de México

Las autoridades han declarado una alerta preventiva en varios estados de la República mexicana

  • Agencia AFP
22/10/2022
logo footer eh
  • Facebook
  • X
  • Instagram
  • YouTube
  • TikTok
  • android PlayStore
  • AppStore
Secciones
  • EH Plus
  • Tegucigalpa
  • Honduras
  • Sucesos
  • Economía
  • EH Trámites
  • Opinión
  • EH Verifica
  • Fotogalerías
  • Deportes
  • Videos
  • Hondureños en el mundo
Boletines
  • Cruzando Fronteras
  • Conéctate
  • Noticias
  • Semana en imágenes
  • Buen Provecho
Suscríbete
  • Beneficio
  • Ingresar
  • Notificaciones
Grupo OPSA
  • El Heraldo
  • La Prensa
  • Diez
  • Revista Estilo
  • Buen Provecho
  • Revista E&N
  • Suscripción
Acerca de El Heraldo
  • Visión y Misión
  • Politicas de privacidad
  • Anúnciate con nosotros
  • Mapa del sitio
  • Kiosco
  • Preguntas frecuentes
  • Contáctenos
Edición impresa
Empresa no hizo ni las casas y aún así tuvo otros millonarios proyectos

Empresa no hizo ni las casas y aún así tuvo otros millonarios proyectos

lunes 23 de feb de 2026 Ediciones Anteriores
El Heraldo - Todos los derechos reservados ©