Denuncian a Johel Zelaya por persecución y Shin Fujiyama recibe regalo de Bukele: lo más destacado en 24 horas
EL HERALDO le presenta un resumen de las noticias más importantes en Honduras, deportes, entretenimiento y demás ocurridas este miércoles 23 de octubre
- Actualizado: 23 de octubre de 2024 a las 00:00
Diputados nacionalistas presentaron una denuncia contra el fiscal general de la República y Shin Fujiyama recibió una donación del presidente Nayib Bukele. Estas y más noticias a continuación.
Diputados del Partido Nacional presentaron una denuncia contra el fiscal general, Johel Zelaya, acusándolo de ataques y persecución política en contra del precandidato presidencial Nasry Asfura. La denuncia fue presentada al Comisionado Nacional de los Derechos Humanos en Honduras (Conadeh) y ante la Corte Interamericana de Derechos Humanos (CIDH).
En horas de la mañana fue extraditado a las autoridades de la DEA el hondureño Javier Marín González, quien es acusado por la Corte del Distrito Norte de California de traficar fentanilo a los Estados Unidos.
Ante el anuncio del Ministerio Público de que se retomarán las investigaciones que dejó la Misión de Apoyo contra la Corrupción en Honduras (MACCIH), la presidenta del Poder Judicial, Rebeca Ráquel Obando, aseguró que respetarán los procesos sin que hayan sesgos políticos.
El Partido Liberal comunicó que mantendrán su postura de únicamente apoyar la Ley de Equidad Tributaria, alternativa a la Ley de Justicia Tributaria. La Ley de Equidad Tributaria fue presentada en julio de 2023, la cual diputados liberales sostienen que es más viable que el proyecto propuesto desde el oficialismo.
Los estudiantes de medicina de la Universidad Católica de Honduras (Unicah) se dirigieron a las instalaciones de la Secretaría de Salud a protestar en exigencia al pago de su salario beca.
Un hombre llegó al Hospital Regional de Atlántida para quitarle la vida a balazos a un paciente identificado como Mauricio Rodríguez. Según autoridades del hospital, el hombre saltó uno de los muros de la parte de atrás, ingresó a la sala y sin mediar palabra lanzó tres disparos hacia la cara del paciente.
El influencer Shin Fujiyama fue sorprendido por el presidente de El Salvador, Nayib Bukele, quien le confirmó que donaría dos bitcoins a su causa para que siga construyendo escuelas a favor de los niños de Honduras.
Los familiares de Richard David Ávila Nieto, estudiante del Instituto España Jesús Milla Selva que fue asesinado en junio, fueron forzados por estructuras criminales a abandonar su vivienda debido a a amenazas.
En libertad quedó uno de los dos capturados y presuntos implicados en un asalto a una pulpería en el barrio Cabañas en San Pedro Sula, zona norte de Honduras.
El FC Barcelona goleó 4-1 al Bayern Múnich en la tercera jornada de Champions League. Los demás partidos quedaron de la siguiente manera: Manchester City 5-0 Sparta Praga, Atlético Madrid 1-3 Lille, Young Boys 0-1 Inter de Milán, Benfica 1-3 Feyenoord, Salzburg 0-2 Dinamo Zagreb.
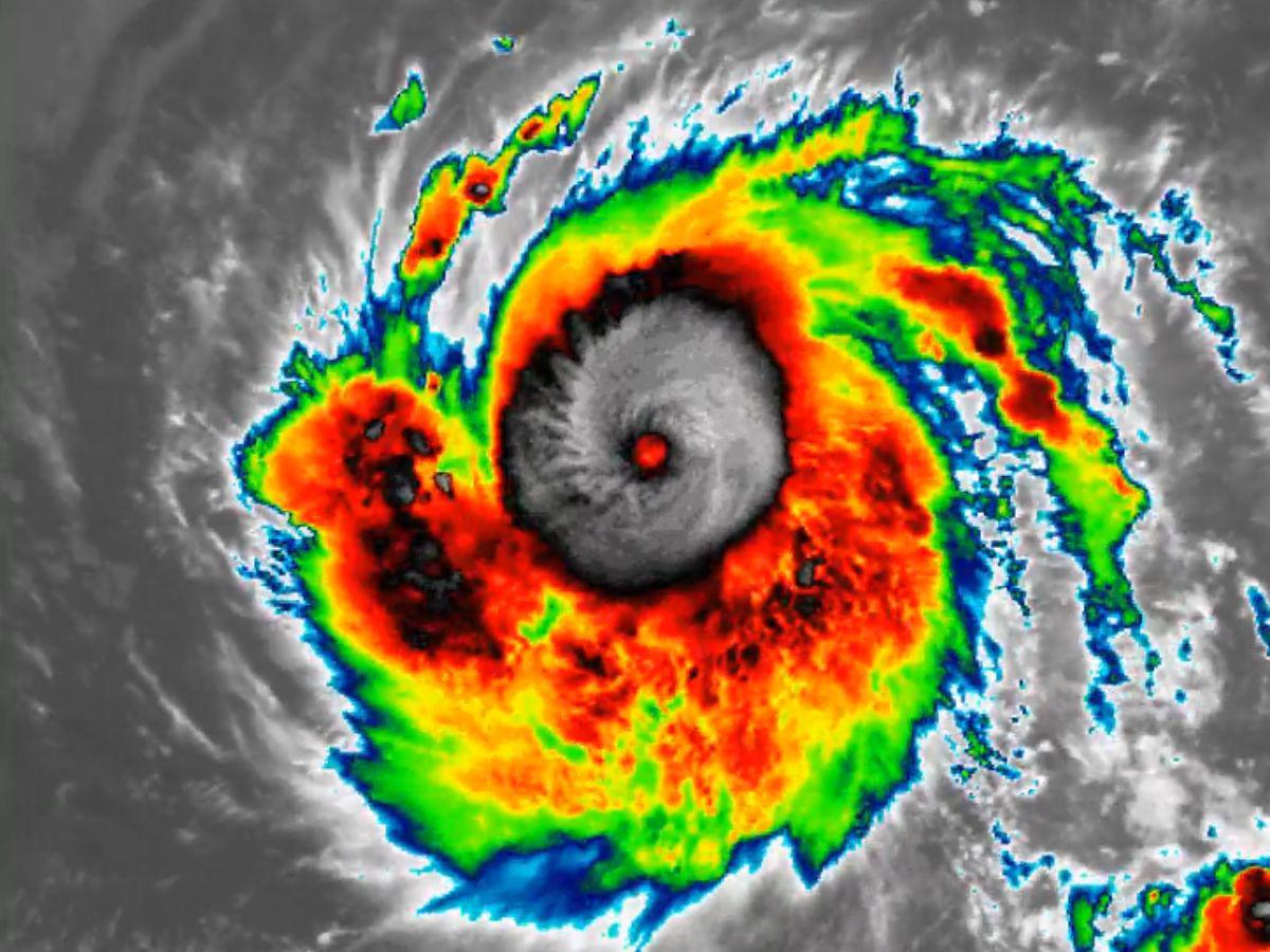
El huracán Kristy se intensificó este miércoles a la categoría 4, en la escala Saffir-Simpson, en el océano Pacífico, mientras se aleja del territorio mexicano, informó el Servicio Meteorológico Nacional (SMN) de México.